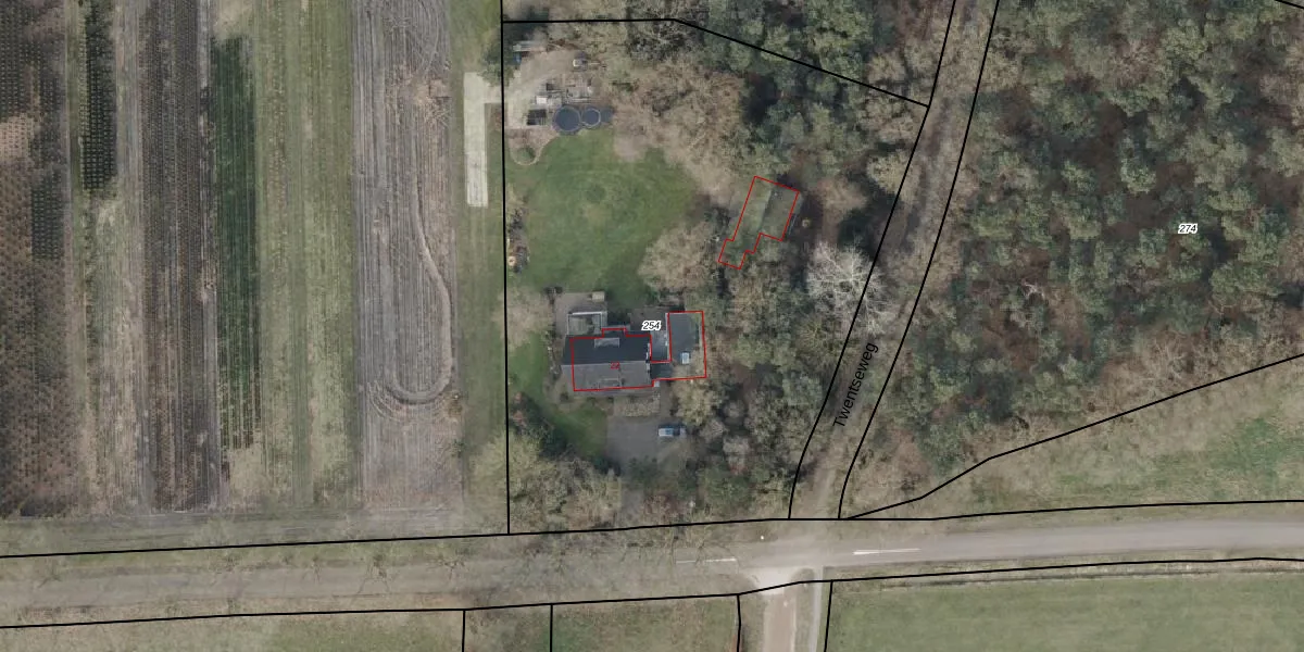
Perceel: DSN01-U-254
KadastraleKaart.com kan meer dan je denktOntdek meer ›
Filter op bestemming 50+ datasets Eigendomsdata in één klik Percelen CRM
4.060 m2 - 256 m
Eigenaar opvragen
DSN01-U-254 (Dalfsen)
- 8154 HH
K vwsT3 Z0zrKwUfWz1 0xHjgwWUpgrade naar KadastraleKaart Pro
Verkoopprijs opvragen
Bekijk op Street View
Download DWG/DXF/Excel
yeGk9WO0dd3yPm9XM87wUpgrade naar KadastraleKaart Pro
ux5 f1tn0zLHUpgrade naar KadastraleKaart Pro
sU6TVMi1 bwW M Upgrade naar KadastraleKaart Pro
D YionseUpgrade naar KadastraleKaart Pro
BMe2CIP9HhG2oUpgrade naar KadastraleKaart Pro
YN0vxGcIRt2wUyxb zRLUpgrade naar KadastraleKaart Pro
V WNF9Dh AhjDx wkUpgrade naar KadastraleKaart Pro
DVY4Vzd7ZUpgrade naar KadastraleKaart Pro
a6d19st3gRlV Qh0HirCcUpgrade naar KadastraleKaart Pro
lr2V7EZRrywK A1bSUpgrade naar KadastraleKaart Pro
01/12/2005

Percelen
Gebruik de zoekbalk of klik op een perceel om informatie over het perceel te bekijken.