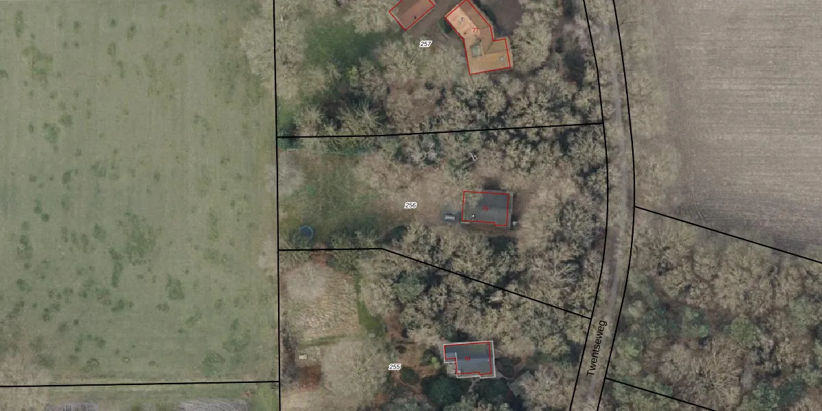
Perceel: DSN01-U-256
KadastraleKaart.com kan meer dan je denktOntdek meer ›
Filter op bestemming 50+ datasets Eigendomsdata in één klik Percelen CRM
2.750 m2 - 234 m
Eigenaar opvragen
DSN01-U-256 (Dalfsen)
- 8154 HJ
TQYxeJWk9IzDFY5H1kulLzgg9oUpgrade naar KadastraleKaart Pro
Verkoopprijs opvragen
Bekijk op Street View
Download DWG/DXF/Excel
EvTMU0w m9zO5uUpgrade naar KadastraleKaart Pro
qNkbH14HkPJpBPtu7X0BS Upgrade naar KadastraleKaart Pro
JFYlDql HHUpgrade naar KadastraleKaart Pro
DSYhSThFIUpgrade naar KadastraleKaart Pro
uJVznR4 Upgrade naar KadastraleKaart Pro
HytbUyUn0ae1B 7qYq8Upgrade naar KadastraleKaart Pro
t 6r0Dr82TfXUpgrade naar KadastraleKaart Pro
xXP6Hbak xP15k3RSwhUpgrade naar KadastraleKaart Pro
QqfiSboP ER9WX3tVUpgrade naar KadastraleKaart Pro
l7 RxC oNM30rkAjhUpgrade naar KadastraleKaart Pro
01/12/2005

Percelen
Gebruik de zoekbalk of klik op een perceel om informatie over het perceel te bekijken.