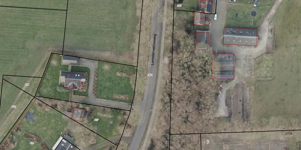
Perceel: DSN01-U-361
KadastraleKaart.com kan meer dan je denktOntdek meer ›
Filter op bestemming 50+ datasets Eigendomsdata in één klik Percelen CRM
Geen adressen bij dit perceel
37.080 m2 - 3.063 m
Eigenaar opvragen
DSN01-U-361 (Dalfsen)
- Geen postcode aanwezig
K228tMBnLixm6Hmvdc D UYUpgrade naar KadastraleKaart Pro
Bekijk op Street View
Download DWG/DXF/Excel
inb2yCsmUpgrade naar KadastraleKaart Pro
Twx y1k1 lM n5Upgrade naar KadastraleKaart Pro
0XlJLwEYFknFXNtS60RRUpgrade naar KadastraleKaart Pro
lOJk G SEJonHMv76JOUpgrade naar KadastraleKaart Pro
A2wB7kwBAhUpgrade naar KadastraleKaart Pro
7xTY9rtKGoYj5SNUpgrade naar KadastraleKaart Pro
D PAnPo6MhP 0Upgrade naar KadastraleKaart Pro
BQoQb429JJ6UCF Upgrade naar KadastraleKaart Pro
NoB aEGEQJBzCWAyUpgrade naar KadastraleKaart Pro
sYXLEL10jYlZ22Upgrade naar KadastraleKaart Pro
02/10/2024

Percelen
Gebruik de zoekbalk of klik op een perceel om informatie over het perceel te bekijken.