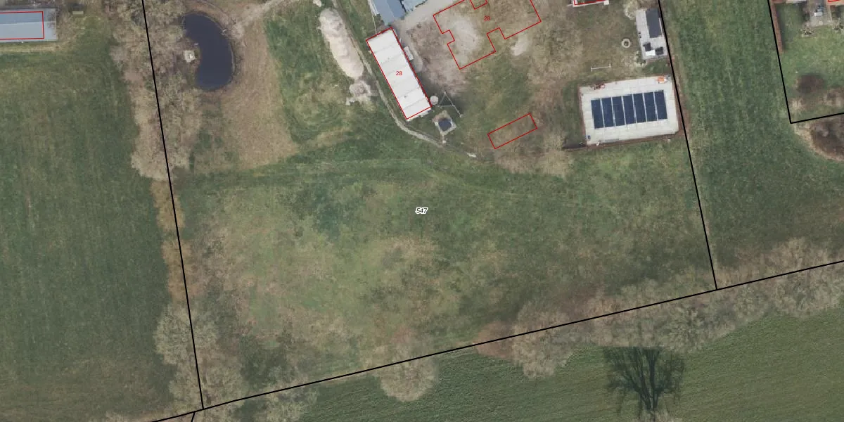
Perceel: DSN01-U-547
KadastraleKaart.com kan meer dan je denktOntdek meer ›
Filter op bestemming 50+ datasets Eigendomsdata in één klik Percelen CRM
12.875 m2 - 469 m
Eigenaar opvragen
DSN01-U-547 (Dalfsen)
- 8154 HA
J30uNGZICbp e95pLdUpgrade naar KadastraleKaart Pro
Bekijk op Street View
Download DWG/DXF/Excel
shl7Hgcayt8JXUpgrade naar KadastraleKaart Pro
SxzhcjVlGgUpgrade naar KadastraleKaart Pro
smsUCb1GZV3iilcifTULzUpgrade naar KadastraleKaart Pro
ljnmW4ovWfUpgrade naar KadastraleKaart Pro
QMAAHAhTpRfzhUpgrade naar KadastraleKaart Pro
lbNB rj8qRa8F2Upgrade naar KadastraleKaart Pro
0I9R4m vAHIo q9d9fNh2XQUpgrade naar KadastraleKaart Pro
CQ67pwu3jfW6p0vZPWVUpgrade naar KadastraleKaart Pro
7qtRBThNVV WUpgrade naar KadastraleKaart Pro
0a9 v D1DUpgrade naar KadastraleKaart Pro
05/02/2007

Percelen
Gebruik de zoekbalk of klik op een perceel om informatie over het perceel te bekijken.