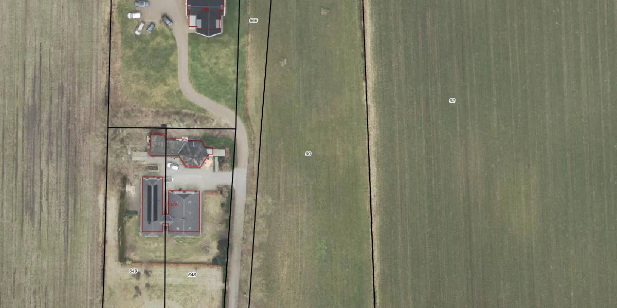
Perceel: DSN01-U-90

Adres bij perceel

Geen adressen bij dit perceel

Perceeloppervlakte & perceelomtrek

6.510 m2 - 456 m

Eigenaar van het perceel

Eigenaar opvragen

Kadastrale aanduiding

DSN01-U-90 (Dalfsen)

Postcode in perceel

    Geen postcode aanwezig

Type eigenaar

1NH Ak8Fckmd tWnOWfyOVWzWUpgrade naar KadastraleKaart Pro

Google Street View

Bekijk op Street View

Download

Download DWG/DXF/Excel

Gerelateerde percelen

tWMAnLI80tnhFUpgrade naar KadastraleKaart Pro

Bebouwd/onbebouwd/water/groen

jgWAKN2vIK7toISs3 RyeZUpgrade naar KadastraleKaart Pro
Administratieve eenheden
5 TGr9bMGErI8Upgrade naar KadastraleKaart Pro

Appartementsrechten

XTRKv48PFGUpgrade naar KadastraleKaart Pro

Vergunningverlenende instanties

O4fUF OJrfESQKWXUpgrade naar KadastraleKaart Pro

Bedekking (BGT)

F1 NdpUdranSWhmXQ9kff GUpgrade naar KadastraleKaart Pro

Publiekrechtelijke beperkingen

wXXkAiYe0XhUpgrade naar KadastraleKaart Pro

Grensnauwkeurigheid

1v7 Pv2gte6z9CD4PecdyUpgrade naar KadastraleKaart Pro

Coördinaten hoekpunten perceel

1mx0DJojUpgrade naar KadastraleKaart Pro

Hoogteligging

88Y1V4R8F7phMVfUpgrade naar KadastraleKaart Pro

Laatst gewijzigd

07/12/2005

Kadastrale kaart met maatvoering 59,95
Kadastrale kaart pakket 28,95

Percelen

Gebruik de zoekbalk of klik op een perceel om informatie over het perceel te bekijken.
Locatie
Meten
Lagen
Download