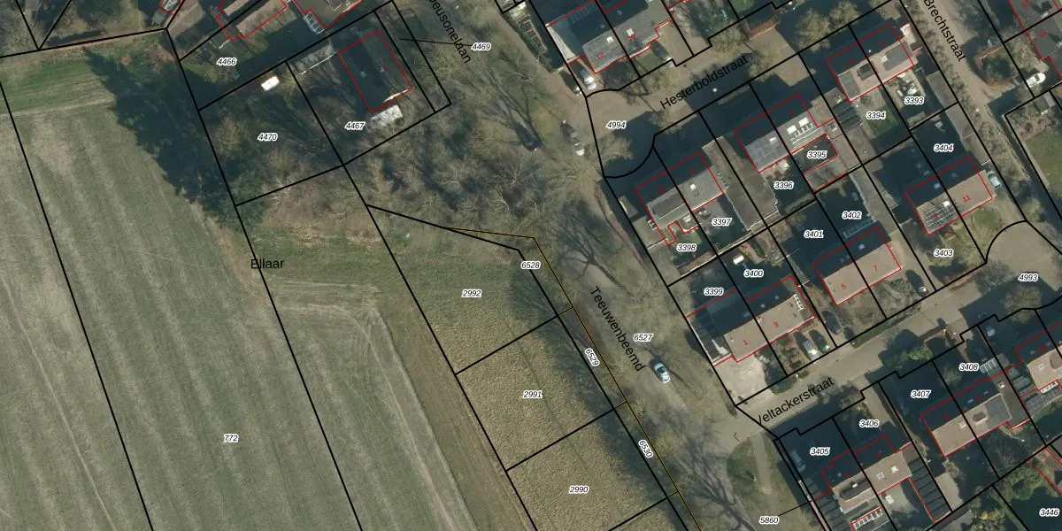
Perceel: DSN02-C-6528
Geen adressen bij dit perceel
74 m2 - 65 m
Eigenaar opvragen
DSN02-C-6528 (Diessen)
- Geen postcode aanwezig
2IW Oud5 nBP1uqLUUpgrade naar KadastraleKaart Pro
Bekijk op Street View
Download DWG/DXF/Excel
R DBwPPhTUpgrade naar KadastraleKaart Pro
Ptx7kFWKyVDwgUpgrade naar KadastraleKaart Pro
EsxOQVTYWllP8V00dPekaUpgrade naar KadastraleKaart Pro
i1z w D66r8st cEUpgrade naar KadastraleKaart Pro
iyA8tHMlsQ5NLUpgrade naar KadastraleKaart Pro
pL9oJ WlGUpgrade naar KadastraleKaart Pro
Amovf9pp6wKUpgrade naar KadastraleKaart Pro
ebvdFRAnw Upgrade naar KadastraleKaart Pro
O9sV 0hUCEwgnUpgrade naar KadastraleKaart Pro
dks bnw7vD6fkfV P1aoa7Upgrade naar KadastraleKaart Pro
05/06/2024

Percelen
Gebruik de zoekbalk of klik op een perceel om informatie over het perceel te bekijken.