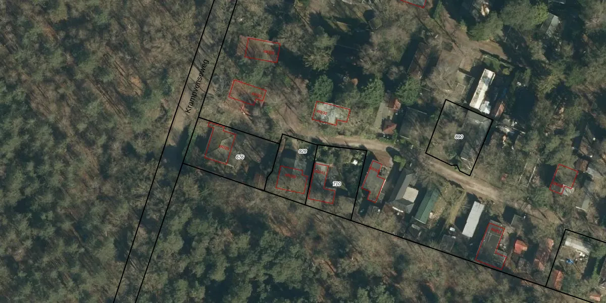
Perceel: DSN02-E-828
260 m2 - 66 m
Eigenaar opvragen
DSN02-E-828 (Diessen)
- 5087 TT
lpxjo94ch6 lAJBq2kUpgrade naar KadastraleKaart Pro
Verkoopprijs opvragen
Bekijk op Street View
Download DWG/DXF/Excel
7EDGPXWepUpgrade naar KadastraleKaart Pro
7YFS8 r16Fk9TUpgrade naar KadastraleKaart Pro
HGg6UkyccgcZirLJ3Upgrade naar KadastraleKaart Pro
8h0HFRLlDb FCT v4BuoWUpgrade naar KadastraleKaart Pro
NNsVoRnERvNMt0sj5qtuCAUpgrade naar KadastraleKaart Pro
tB Ypkm88aUpgrade naar KadastraleKaart Pro
geP78QRUpgrade naar KadastraleKaart Pro
kkyzsAAKhyMzUpV6Wbo 81KUpgrade naar KadastraleKaart Pro
LzmqEdoYHlQdxOq05VrUpgrade naar KadastraleKaart Pro
cwMjJ6lEhm7lJ 6 cX BJvuUpgrade naar KadastraleKaart Pro
07/01/2014

Percelen
Gebruik de zoekbalk of klik op een perceel om informatie over het perceel te bekijken.