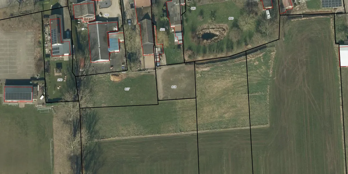
Perceel: DSN03-N-818
KadastraleKaart.com kan meer dan je denktOntdek meer ›
Filter op bestemming 50+ datasets Eigendomsdata in één klik Percelen CRM
Geen adressen bij dit perceel
475 m2 - 136 m
Eigenaar opvragen
DSN03-N-818 (Dussen)
- Geen postcode aanwezig
N7noKX fFQIkzG8rSUpgrade naar KadastraleKaart Pro
Bekijk op Street View
Download DWG/DXF/Excel
IqLkdJl 2mb0YcXAD6qNrUpgrade naar KadastraleKaart Pro
skFlFrB8rvSSxEyPUpgrade naar KadastraleKaart Pro
yo0yJTFtUpgrade naar KadastraleKaart Pro
b7CK cOk9bGOI465FjZiUpgrade naar KadastraleKaart Pro
IZRiLnS2cWzJ53IRhAUpgrade naar KadastraleKaart Pro
1d2pY1bH6iDPXEUpgrade naar KadastraleKaart Pro
v SW 3Mpkl3LFKczHCpgeZUpgrade naar KadastraleKaart Pro
CmNuHPw NS zlQ1fSybuUpgrade naar KadastraleKaart Pro
znxYO 6xAQUpgrade naar KadastraleKaart Pro
HLdz I85zEzGUpgrade naar KadastraleKaart Pro
16/09/2005

Percelen
Gebruik de zoekbalk of klik op een perceel om informatie over het perceel te bekijken.