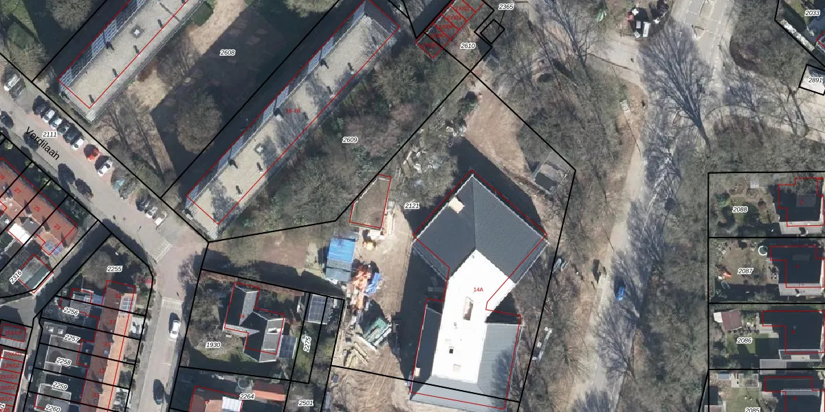
Perceel: DTC01-D-2121
3.580 m2 - 278 m
Eigenaar opvragen
DTC01-D-2121 (Ambt-Doetinchem)
- 7002 LN
Bgbi4Vu3 3Xq1v6GrYDhuB1Upgrade naar KadastraleKaart Pro
Bekijk op Street View
Download DWG/DXF/Excel
hpEd8XrB vSQRRPUpgrade naar KadastraleKaart Pro
qU3KiC e7r48JKj 0 JfUpgrade naar KadastraleKaart Pro
0rHUoKXeF7FzfhuMvUpgrade naar KadastraleKaart Pro
91YvU7H dvXE2JQ dTvXGUpgrade naar KadastraleKaart Pro
JE1hh uys xC5RddDH HUpgrade naar KadastraleKaart Pro
AnJMY2fUuTqIm6eu6IrW KzUpgrade naar KadastraleKaart Pro
BtC0T43iabxC8F56pUpgrade naar KadastraleKaart Pro
8rKdS0XVVmbKUpgrade naar KadastraleKaart Pro
A4qIPGFUEzUpgrade naar KadastraleKaart Pro
eFm5X wvrYJUpgrade naar KadastraleKaart Pro
05/03/2003

Percelen
Gebruik de zoekbalk of klik op een perceel om informatie over het perceel te bekijken.