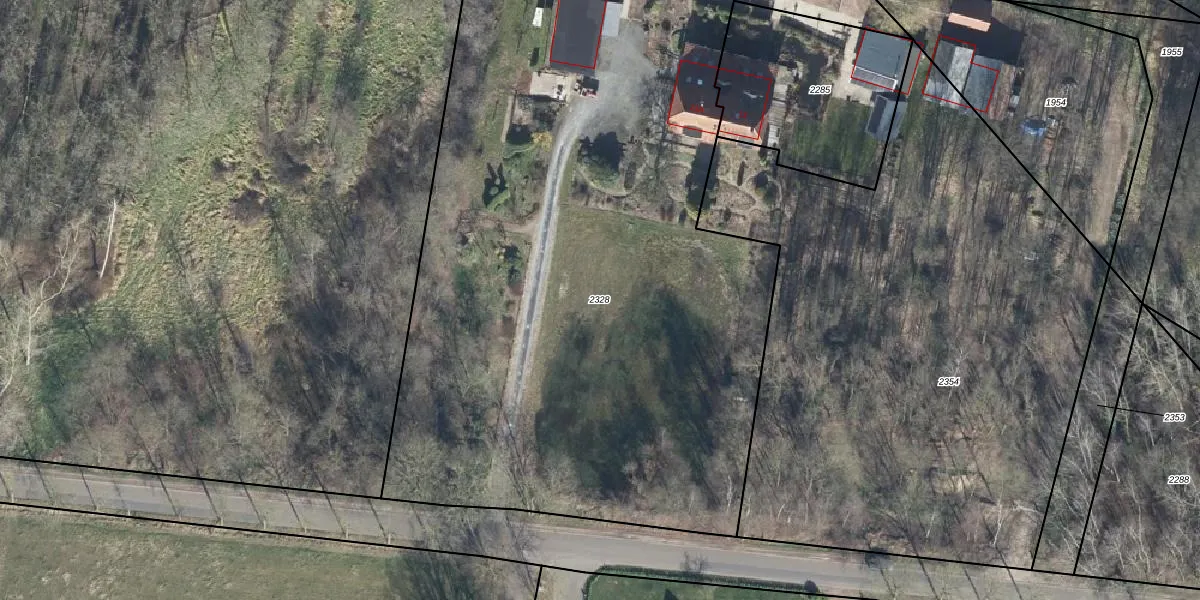
Perceel: DTC01-F-2328
4.961 m2 - 309 m
Eigenaar opvragen
DTC01-F-2328 (Ambt-Doetinchem)
- 7004 JD
sCFvs3sVyw fVPy71zVXQJSUpgrade naar KadastraleKaart Pro
Bekijk op Street View
Download DWG/DXF/Excel
g3Yd8jwn yLw8YHp brUpgrade naar KadastraleKaart Pro
TtgPBqV5elUpgrade naar KadastraleKaart Pro
BlbQHkxcLo3 kk9KqlI9hc1Upgrade naar KadastraleKaart Pro
vOaf3e4iHhUpgrade naar KadastraleKaart Pro
s eqvi3XQc4 lxBtLzqBfMUpgrade naar KadastraleKaart Pro
D e8LJOXxRD 4ZM8jUpgrade naar KadastraleKaart Pro
YnclDXNd3N9PvYcUpgrade naar KadastraleKaart Pro
Y KRC9qVXEUpgrade naar KadastraleKaart Pro
V65TeBqr 1b QKOUpgrade naar KadastraleKaart Pro
TtB8oPr4QyC9AR4V5lUpgrade naar KadastraleKaart Pro
22/03/2007

Percelen
Gebruik de zoekbalk of klik op een perceel om informatie over het perceel te bekijken.