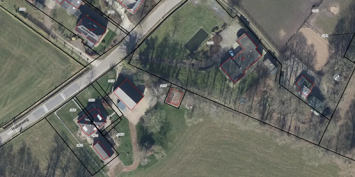
Perceel: DTC01-F-2415
Geen adressen bij dit perceel
103 m2 - 41 m
Eigenaar opvragen
DTC01-F-2415 (Ambt-Doetinchem)
- Geen postcode aanwezig
61CQo qeDTNTHZ1DceGoLa7ko CQUpgrade naar KadastraleKaart Pro
Bekijk op Street View
Download DWG/DXF/Excel
w vF AgzLzUpgrade naar KadastraleKaart Pro
OZSI40aEHxka x72Upgrade naar KadastraleKaart Pro
t5Mnpw2SJrEMoFKDUpgrade naar KadastraleKaart Pro
jKSz4XdszCZUpgrade naar KadastraleKaart Pro
32iAqj38GJsdvy42FPxaWOsUpgrade naar KadastraleKaart Pro
rDpHcfXx2cTIuTUpgrade naar KadastraleKaart Pro
kQPIpD7sxdUpgrade naar KadastraleKaart Pro
Ny9hp bLtTD H59 NUpgrade naar KadastraleKaart Pro
OME6JL6 MizUpgrade naar KadastraleKaart Pro
1UwZxv1OFRkyLBQQUpgrade naar KadastraleKaart Pro
30/09/2022

Percelen
Gebruik de zoekbalk of klik op een perceel om informatie over het perceel te bekijken.