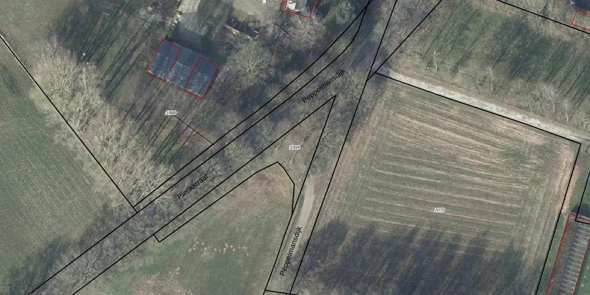
Perceel: DTC01-G-1994
Geen adressen bij dit perceel
440 m2 - 193 m
Eigenaar opvragen
DTC01-G-1994 (Ambt-Doetinchem)
- Geen postcode aanwezig
RvqGGqGhN1vrBlxHZCLYUpgrade naar KadastraleKaart Pro
Bekijk op Street View
Download DWG/DXF/Excel
smyYSQew EHUpgrade naar KadastraleKaart Pro
hHng o ZWsOQUpgrade naar KadastraleKaart Pro
cPqOQ L fJyUpgrade naar KadastraleKaart Pro
t 4AgvfU7jmt6oA7FNQYCiUpgrade naar KadastraleKaart Pro
M7f UYqB6bH 7uS4AVYNHfUpgrade naar KadastraleKaart Pro
gYc3osWZzETgZ4qGcEZzUpgrade naar KadastraleKaart Pro
QWYn UsZsuP5X VfdsXhLUpgrade naar KadastraleKaart Pro
LOUg IsG uvLmUpgrade naar KadastraleKaart Pro
uW8p4 Cw7TdGr aocofZk Upgrade naar KadastraleKaart Pro
4GsXS1mgfhdUUpgrade naar KadastraleKaart Pro
24/03/2003

Percelen
Gebruik de zoekbalk of klik op een perceel om informatie over het perceel te bekijken.