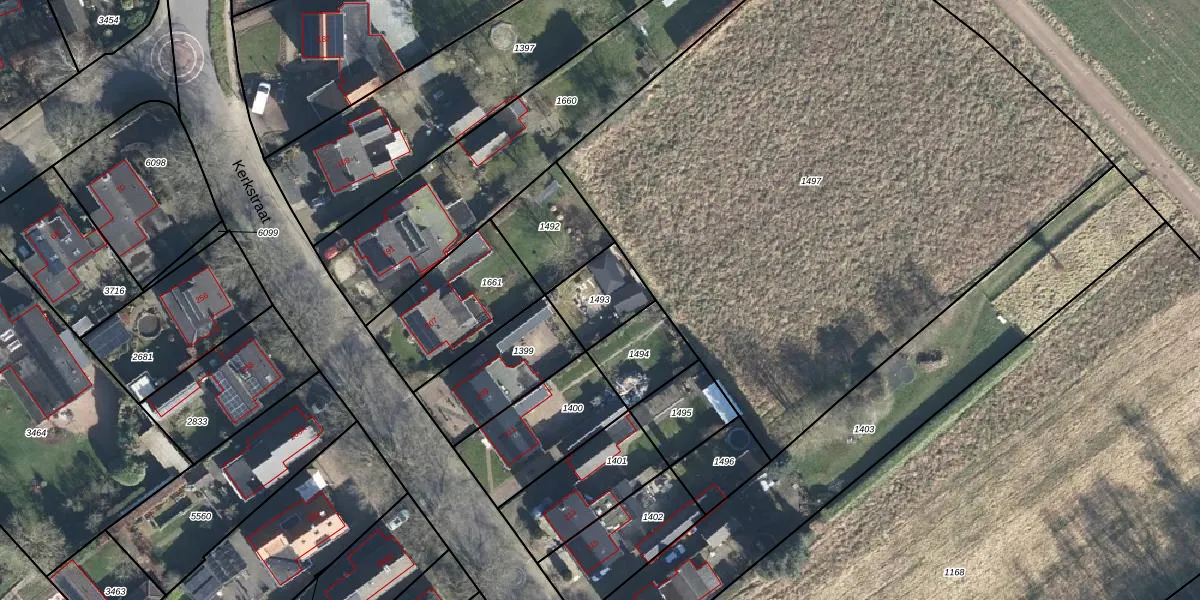
Perceel: DTC01-H-1493
Geen adressen bij dit perceel
179 m2 - 52 m
Eigenaar opvragen
DTC01-H-1493 (Ambt-Doetinchem)
- Geen postcode aanwezig
UySypCrSxZCLx3UgwOwryP8Upgrade naar KadastraleKaart Pro
Bekijk op Street View
Download DWG/DXF/Excel
lkHvQYTWW3KUpgrade naar KadastraleKaart Pro
cX rMa6GPd8kRJ Upgrade naar KadastraleKaart Pro
6KQuqkRNkQC1pkC43NaA0Upgrade naar KadastraleKaart Pro
KwKm0p wfRBf0aatjcu ydRUpgrade naar KadastraleKaart Pro
UJ1h2aXIcU0 9bUpgrade naar KadastraleKaart Pro
DHyl vw vG2R1ziVYQaOUpgrade naar KadastraleKaart Pro
RLpe u1i90vn5oUpgrade naar KadastraleKaart Pro
ntIDz2 QRy3SGKhKYcP40YUpgrade naar KadastraleKaart Pro
FRzF Fgsu 01KMDNUpgrade naar KadastraleKaart Pro
r PlgBMUnEG3Upgrade naar KadastraleKaart Pro
10/04/2003

Percelen
Gebruik de zoekbalk of klik op een perceel om informatie over het perceel te bekijken.