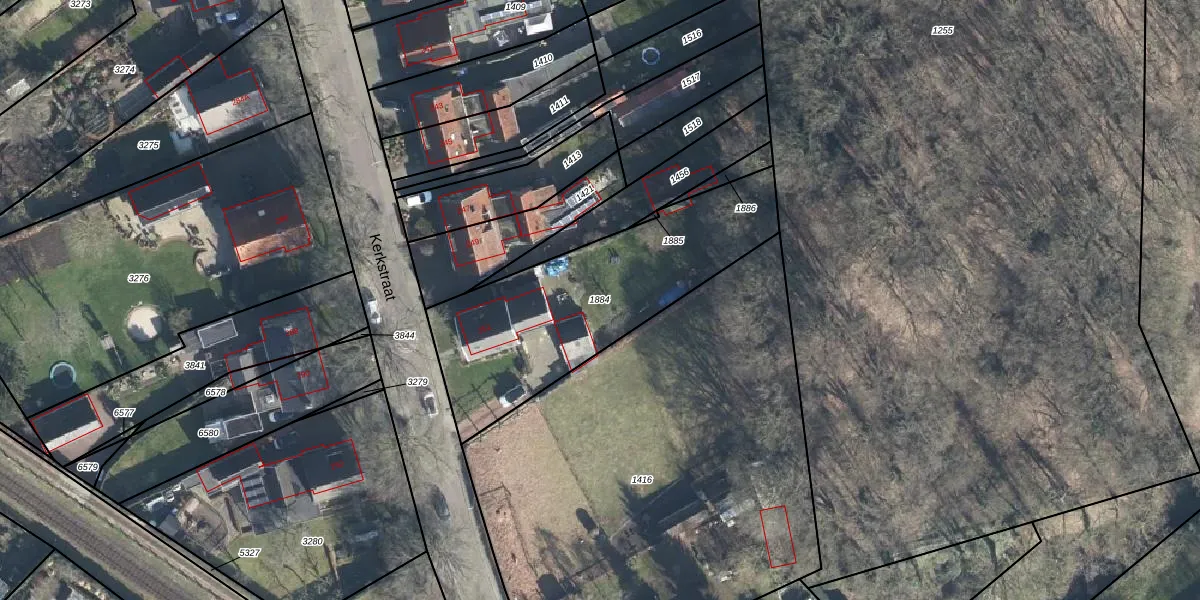
Perceel: DTC01-H-1884
998 m2 - 162 m
Eigenaar opvragen
DTC01-H-1884 (Ambt-Doetinchem)
- 7011 CN
Adt x0v6PKfW3qMXUpgrade naar KadastraleKaart Pro
Bekijk op Street View
Download DWG/DXF/Excel
5wPA 8OK tnpQY5iYSN9Upgrade naar KadastraleKaart Pro
TP32 r2xoUpgrade naar KadastraleKaart Pro
V5K KBJnVNIdBIuUpgrade naar KadastraleKaart Pro
B AwyGcwhh06jkebUpgrade naar KadastraleKaart Pro
0y0hSXH5mrkW PJ8xYuVQzIUpgrade naar KadastraleKaart Pro
l2N 9SueyvUpgrade naar KadastraleKaart Pro
U LmJRxSBXc54R1IFk6a PSUpgrade naar KadastraleKaart Pro
3qDGIImcSrXUpgrade naar KadastraleKaart Pro
HwWph cwfPqVb6Rp4Upgrade naar KadastraleKaart Pro
MERNBTSnq86SDYUVRkUpgrade naar KadastraleKaart Pro
16/11/2005

Percelen
Gebruik de zoekbalk of klik op een perceel om informatie over het perceel te bekijken.