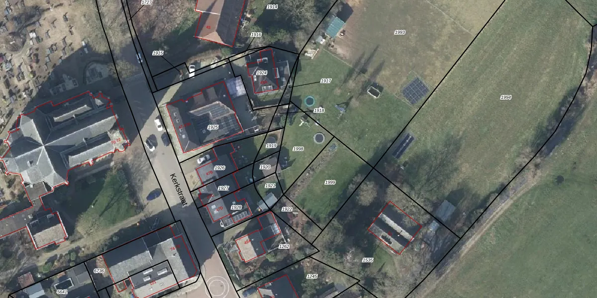
Perceel: DTC01-H-1998
Geen adressen bij dit perceel
285 m2 - 77 m
Eigenaar opvragen
DTC01-H-1998 (Ambt-Doetinchem)
- Geen postcode aanwezig
fiO1B nfd5F6 utddqUpgrade naar KadastraleKaart Pro
Bekijk op Street View
Download DWG/DXF/Excel
EYPQpU0A1ig6Upgrade naar KadastraleKaart Pro
A0Ikp9UqUpgrade naar KadastraleKaart Pro
i9sHIOqqSy1MNR43LMDAgUpgrade naar KadastraleKaart Pro
rCE5VQP VD5b Upgrade naar KadastraleKaart Pro
gx Ovv5xYKBaFf aVb5Upgrade naar KadastraleKaart Pro
cMO5687X3IRH4 EnJUpgrade naar KadastraleKaart Pro
hpNMkrwROlRqf Eg8kn kuMUpgrade naar KadastraleKaart Pro
0Jcj8GfdctiUpgrade naar KadastraleKaart Pro
GL JsT2wsg1McZqz7Upgrade naar KadastraleKaart Pro
8CF OKw3Upgrade naar KadastraleKaart Pro
10/09/2015

Percelen
Gebruik de zoekbalk of klik op een perceel om informatie over het perceel te bekijken.