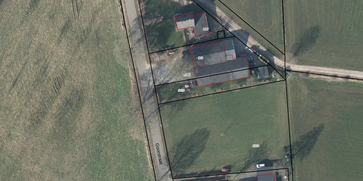
Perceel: DTC01-K-1072
Geen adressen bij dit perceel
700 m2 - 158 m
Eigenaar opvragen
DTC01-K-1072 (Ambt-Doetinchem)
- Geen postcode aanwezig
wbBpyMzOJKt CIPJRfG9qJ GErQUpgrade naar KadastraleKaart Pro
Bekijk op Street View
Download DWG/DXF/Excel
yVH15ep0pTODQVk GUpgrade naar KadastraleKaart Pro
1YeiiaYE ZUpgrade naar KadastraleKaart Pro
Xb LyjcSGijL u 3Upgrade naar KadastraleKaart Pro
H68 tdj8rGwy6h7H3t1aHUpgrade naar KadastraleKaart Pro
ha26f aSWQKmDvN GSUpgrade naar KadastraleKaart Pro
gKf6J3V1r Upgrade naar KadastraleKaart Pro
ksyJsOMvH7th8hUpgrade naar KadastraleKaart Pro
1b4wMFAf SeCUpgrade naar KadastraleKaart Pro
F2x geZKUpgrade naar KadastraleKaart Pro
Nb3dFxMvN7kUpgrade naar KadastraleKaart Pro
01/04/2003

Percelen
Gebruik de zoekbalk of klik op een perceel om informatie over het perceel te bekijken.