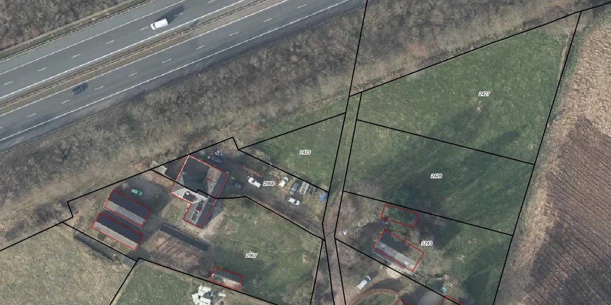
Perceel: DTC01-L-2423
Geen adressen bij dit perceel
570 m2 - 97 m
Eigenaar opvragen
DTC01-L-2423 (Ambt-Doetinchem)
- Geen postcode aanwezig
HMS9rzlxy1srbQwbpr9G2cuFqqUUpgrade naar KadastraleKaart Pro
Bekijk op Street View
Download DWG/DXF/Excel
mq3 mY9etUpgrade naar KadastraleKaart Pro
r zdIgjN4tY oPBUpgrade naar KadastraleKaart Pro
Qzg hHRNdvXkNtja7Upgrade naar KadastraleKaart Pro
CvyRA yC coEh nTxUpgrade naar KadastraleKaart Pro
dCrd5Fq7BB7 0uYhUpgrade naar KadastraleKaart Pro
GWfqIqDFBJ3fMfD4Zdc Upgrade naar KadastraleKaart Pro
grc05fZ5BIUpgrade naar KadastraleKaart Pro
UNxWDf89PKu5vnshHUpgrade naar KadastraleKaart Pro
5b3F 01A0R4oN1tUpgrade naar KadastraleKaart Pro
OqiKUFXSaH4eUpgrade naar KadastraleKaart Pro
04/11/2010

Percelen
Gebruik de zoekbalk of klik op een perceel om informatie over het perceel te bekijken.