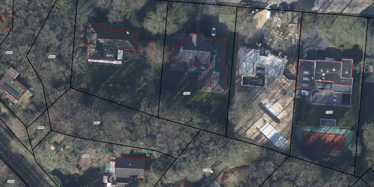
Perceel: DTC01-L-2559
2.460 m2 - 207 m
Eigenaar opvragen
DTC01-L-2559 (Ambt-Doetinchem)
- 7004 GP
NSKItfF hQJdCFU5g 2Upgrade naar KadastraleKaart Pro
Verkoopprijs opvragen
Bekijk op Street View
Download DWG/DXF/Excel
BCVsUGDFvNWiULMHvQZUpgrade naar KadastraleKaart Pro
V4QXAP ECEm Z4SyUpgrade naar KadastraleKaart Pro
D XDwE5PNDPWyaZ HhIM1Upgrade naar KadastraleKaart Pro
4aT9EDIm Upgrade naar KadastraleKaart Pro
RBE70Wi1i2 sf5JEk812Upgrade naar KadastraleKaart Pro
sXH INH H9Yc0peYmZdkCdUpgrade naar KadastraleKaart Pro
9 JX vL3pr9cz28Upgrade naar KadastraleKaart Pro
vvE1iSoIKMwN Upgrade naar KadastraleKaart Pro
jdYol7LCiz9UlyUpgrade naar KadastraleKaart Pro
bpcEpYWGWJ e4udtoOwJhUpgrade naar KadastraleKaart Pro
18/05/2009

Percelen
Gebruik de zoekbalk of klik op een perceel om informatie over het perceel te bekijken.