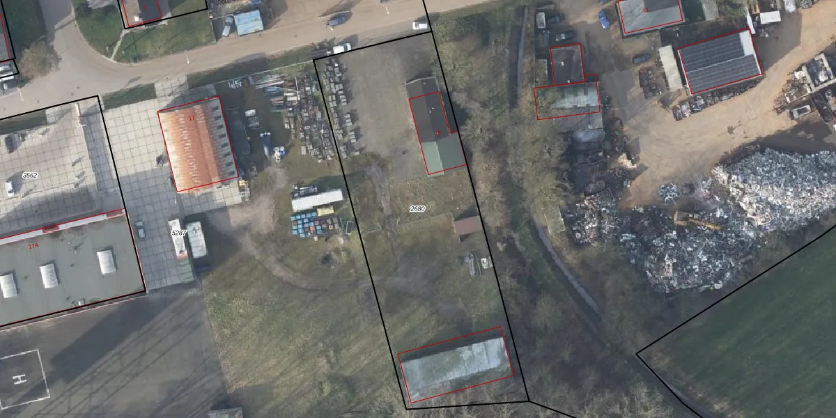
Perceel: DTC01-L-2680
2.585 m2 - 237 m
Eigenaar opvragen
DTC01-L-2680 (Ambt-Doetinchem)
- 7005 BS
YSVQxU2bJFCFgCc Upgrade naar KadastraleKaart Pro
Bekijk op Street View
Download DWG/DXF/Excel
rI2OBwTCpGUUpgrade naar KadastraleKaart Pro
N KH r0 tUpgrade naar KadastraleKaart Pro
NB2VQ7 dea7Upgrade naar KadastraleKaart Pro
fEme2JK4Upgrade naar KadastraleKaart Pro
O0bPMSoHy9Y fHhaMDgvjUpgrade naar KadastraleKaart Pro
SL9bqF9 DcW1zdQapUpgrade naar KadastraleKaart Pro
hkxdPvGGUpgrade naar KadastraleKaart Pro
9EIA2DBvUpgrade naar KadastraleKaart Pro
2meYZudY6 Ui6bi8Upgrade naar KadastraleKaart Pro
VbZ4 2f0AlhYNdBUpgrade naar KadastraleKaart Pro
14/04/2009

Percelen
Gebruik de zoekbalk of klik op een perceel om informatie over het perceel te bekijken.