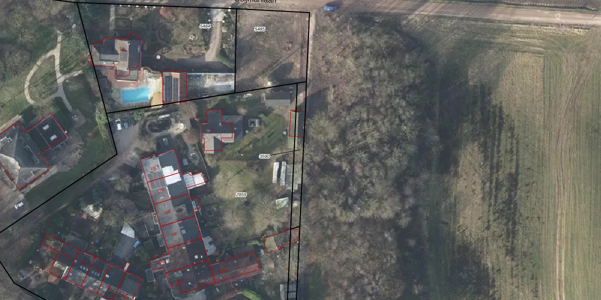
Perceel: DTC01-L-3590
Geen adressen bij dit perceel
147 m2 - 103 m
Eigenaar opvragen
DTC01-L-3590 (Ambt-Doetinchem)
- Geen postcode aanwezig
GxTdBVN0CvW i8YqduJBh PBISIA0Upgrade naar KadastraleKaart Pro
Bekijk op Street View
Download DWG/DXF/Excel
5Na Fi vI5YJA2OrAu7Ne1Upgrade naar KadastraleKaart Pro
3zEMui orZBt RiUpgrade naar KadastraleKaart Pro
uDLxB4E5qUpgrade naar KadastraleKaart Pro
0 u9JRNtAwbKK2GIv9Upgrade naar KadastraleKaart Pro
U8ZnpGppIB2PUpgrade naar KadastraleKaart Pro
3NkpPFZ2OVheRdNidK Upgrade naar KadastraleKaart Pro
FEx14QwBG 5bMp dKvoUpgrade naar KadastraleKaart Pro
2qqwXQgBX0b9Upgrade naar KadastraleKaart Pro
l5rVYAwrxUpgrade naar KadastraleKaart Pro
0IAGV 81YCW63Upgrade naar KadastraleKaart Pro
23/04/2003

Percelen
Gebruik de zoekbalk of klik op een perceel om informatie over het perceel te bekijken.