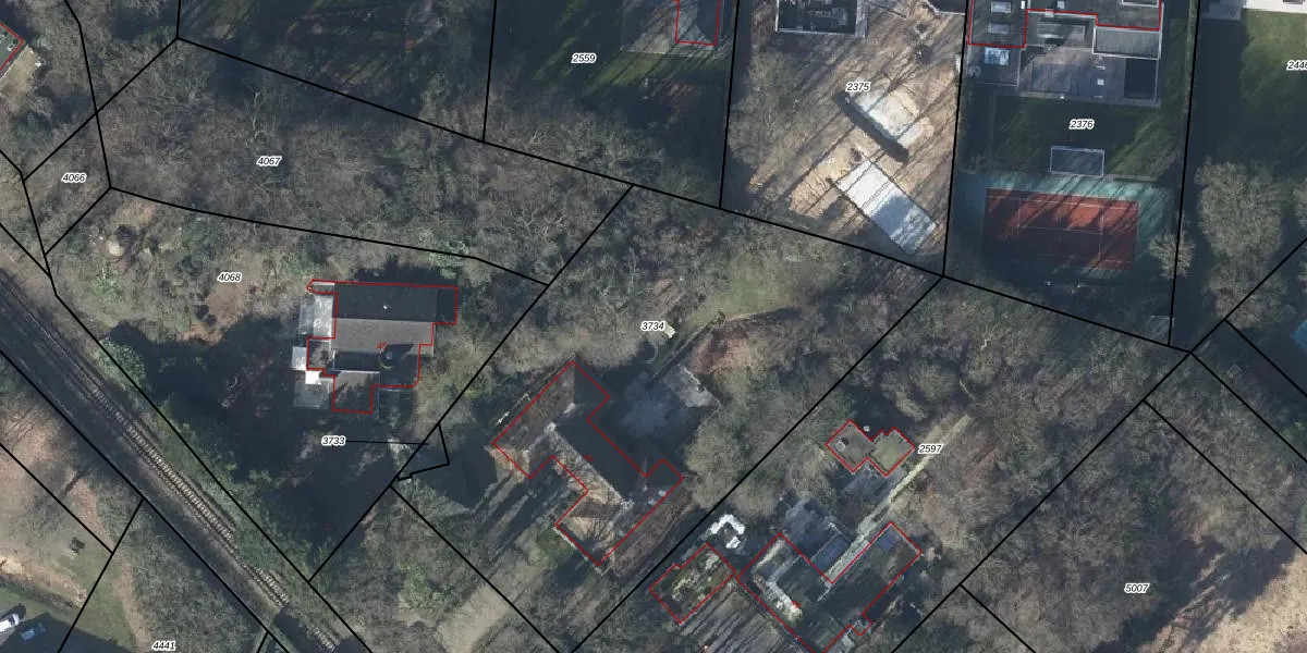
Perceel: DTC01-L-3734
KadastraleKaart.com kan meer dan je denktOntdek meer ›
Filter op bestemming 50+ datasets Eigendomsdata in één klik Percelen CRM
2.927 m2 - 235 m
Eigenaar opvragen
DTC01-L-3734 (Ambt-Doetinchem)
- 7004 GM
9zWHEn7TGKdAFaPLUpgrade naar KadastraleKaart Pro
Verkoopprijs opvragen
Bekijk op Street View
Download DWG/DXF/Excel
GS3p4DYuHJDFUpgrade naar KadastraleKaart Pro
Hi6G W2ExCaDYcUpgrade naar KadastraleKaart Pro
6 PYKGA6UA27P4ZUpgrade naar KadastraleKaart Pro
lZRn GBLjm Upgrade naar KadastraleKaart Pro
jhDT6DMdKcWwLxV0j0c ZUpgrade naar KadastraleKaart Pro
ao X2s7ntHS XKxz0u7zUpgrade naar KadastraleKaart Pro
88oC9ZgipUyX48glUpgrade naar KadastraleKaart Pro
iTU4WvNh7iqS9oUpgrade naar KadastraleKaart Pro
to F vGfMmS o5sOLRkUeUpgrade naar KadastraleKaart Pro
viWa29sQb7hUpgrade naar KadastraleKaart Pro
18/05/2009

Percelen
Gebruik de zoekbalk of klik op een perceel om informatie over het perceel te bekijken.