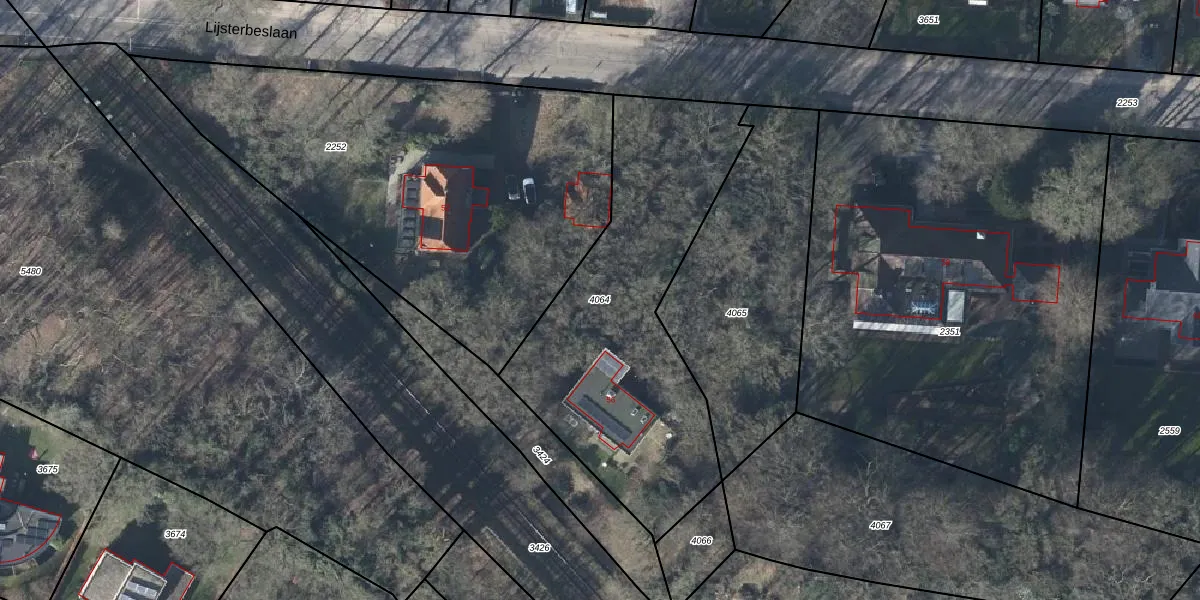
Perceel: DTC01-L-4064
KadastraleKaart.com kan meer dan je denktOntdek meer ›
Filter op bestemming 50+ datasets Eigendomsdata in één klik Percelen CRM
1.485 m2 - 202 m
Eigenaar opvragen
DTC01-L-4064 (Ambt-Doetinchem)
- 7004 GP
KGYYsFY MPRbA3tsCe88lzJo fG3BjUpgrade naar KadastraleKaart Pro
Verkoopprijs opvragen
Bekijk op Street View
Download DWG/DXF/Excel
RR 80ca8wNvW2 LwDp4pfj5Upgrade naar KadastraleKaart Pro
d6uGecTAbDAdUpgrade naar KadastraleKaart Pro
jnuP65yxUjf8L BMnZMb1Upgrade naar KadastraleKaart Pro
BQR1MP0OBCehm7sKSz0aNUpgrade naar KadastraleKaart Pro
ve4iACRaDASZoUpgrade naar KadastraleKaart Pro
5i9d1EaE DtsSz5bhjDziUpgrade naar KadastraleKaart Pro
r3 KdAdsaJUpgrade naar KadastraleKaart Pro
uIXO2jinGI0PsUpgrade naar KadastraleKaart Pro
KohiTvuC9Y3Upgrade naar KadastraleKaart Pro
QFl3X06IpX8BUpgrade naar KadastraleKaart Pro
18/05/2009

Percelen
Gebruik de zoekbalk of klik op een perceel om informatie over het perceel te bekijken.