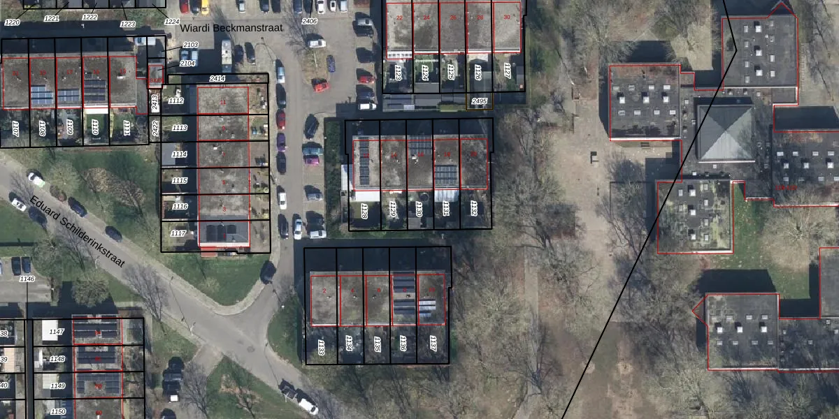
Perceel: DTC01-N-1130
165 m2 - 65 m
Eigenaar opvragen
DTC01-N-1130 (Ambt-Doetinchem)
- 7002 KP
YpHvRIFgfCJjmgx3lI6 MVN7RZqEqUpgrade naar KadastraleKaart Pro
Verkoopprijs opvragen
Bekijk op Street View
Download DWG/DXF/Excel
uIjNWu 5XlUPg7wbq91Ul1Upgrade naar KadastraleKaart Pro
5sPN4GGmltDC Upgrade naar KadastraleKaart Pro
mev7jUGEUpgrade naar KadastraleKaart Pro
XtwREMl We3XF4b8OCw2gn4Upgrade naar KadastraleKaart Pro
fpb 2D2KHtUpgrade naar KadastraleKaart Pro
qVMBus ZwC9rMW 26fQdUpgrade naar KadastraleKaart Pro
5yMQ5MzVM0PUpgrade naar KadastraleKaart Pro
LcEwxCsfpXHUpgrade naar KadastraleKaart Pro
2V rlP20 MPGcVnLYUIZBJUpgrade naar KadastraleKaart Pro
0O0bnnoxUpgrade naar KadastraleKaart Pro
24/01/2007

Percelen
Gebruik de zoekbalk of klik op een perceel om informatie over het perceel te bekijken.