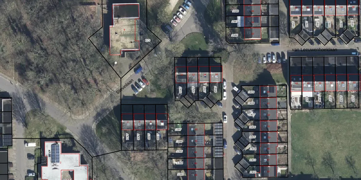
Perceel: DTC01-N-1455
KadastraleKaart.com kan meer dan je denktOntdek meer ›
Filter op bestemming 50+ datasets Eigendomsdata in één klik Percelen CRM
167 m2 - 71 m
Eigenaar opvragen
DTC01-N-1455 (Ambt-Doetinchem)
- 7002 HD
rbf aRYEdvRbtjWRf UZEo4Upgrade naar KadastraleKaart Pro
Verkoopprijs opvragen
Bekijk op Street View
Download DWG/DXF/Excel
utqrld3 2doUpgrade naar KadastraleKaart Pro
Np7Mj 7U1vPFv8YPEUpgrade naar KadastraleKaart Pro
ATRxw1yRwbylZUpgrade naar KadastraleKaart Pro
KSmzHM1N1vUpgrade naar KadastraleKaart Pro
2cdF6yieAKpTKO2bjg ZJtUpgrade naar KadastraleKaart Pro
lMIsZ3o Upgrade naar KadastraleKaart Pro
cJ3g4h8wUpgrade naar KadastraleKaart Pro
G3AtK oFi0f sgUpgrade naar KadastraleKaart Pro
2RC3ujoSBmRH9GXmYxq Ow5Upgrade naar KadastraleKaart Pro
OxxN8xLo Z8YX Upgrade naar KadastraleKaart Pro
04/03/2003

Percelen
Gebruik de zoekbalk of klik op een perceel om informatie over het perceel te bekijken.