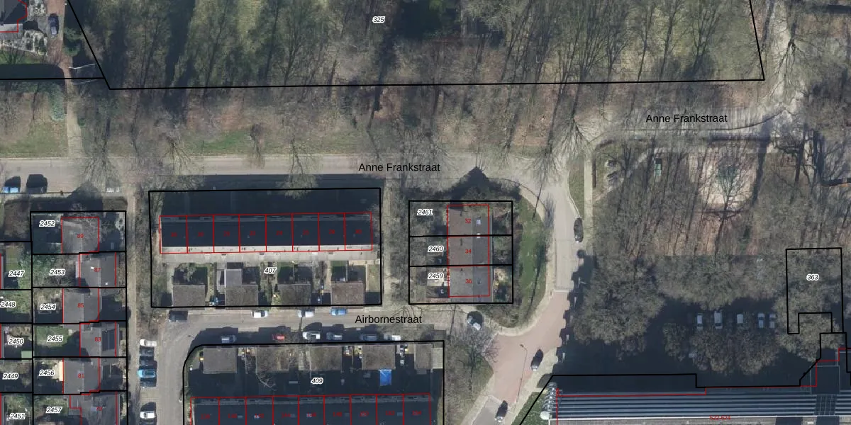
Perceel: DTC01-N-2461
KadastraleKaart.com kan meer dan je denktOntdek meer ›
Filter op bestemming 50+ datasets Eigendomsdata in één klik Percelen CRM
200 m2 - 65 m
Eigenaar opvragen
DTC01-N-2461 (Ambt-Doetinchem)
- 7002 CV
iJsFq4YSn5X7 ttNECG CuUpgrade naar KadastraleKaart Pro
Bekijk op Street View
Download DWG/DXF/Excel
5H H m DKUpgrade naar KadastraleKaart Pro
cgXAD0PZeNnzOL7 2NvUpgrade naar KadastraleKaart Pro
95 UFWcQO0 Diq5LUrUpgrade naar KadastraleKaart Pro
NM7VydzBEsDWVgddQUpgrade naar KadastraleKaart Pro
VWa3F7R tZUWmBtqcWSQUpgrade naar KadastraleKaart Pro
mRGQfBioSbo7eyQ4jJR3 Upgrade naar KadastraleKaart Pro
o0e0 qxuu90I 2 IU4C NUpgrade naar KadastraleKaart Pro
WSgkvPIAOAg7B 3bZ8cgc3Upgrade naar KadastraleKaart Pro
rfjH2GhBl6n 5gUtHfUpgrade naar KadastraleKaart Pro
HAqxWOM356mkY GxJmUpgrade naar KadastraleKaart Pro
17/06/2025

Percelen
Gebruik de zoekbalk of klik op een perceel om informatie over het perceel te bekijken.