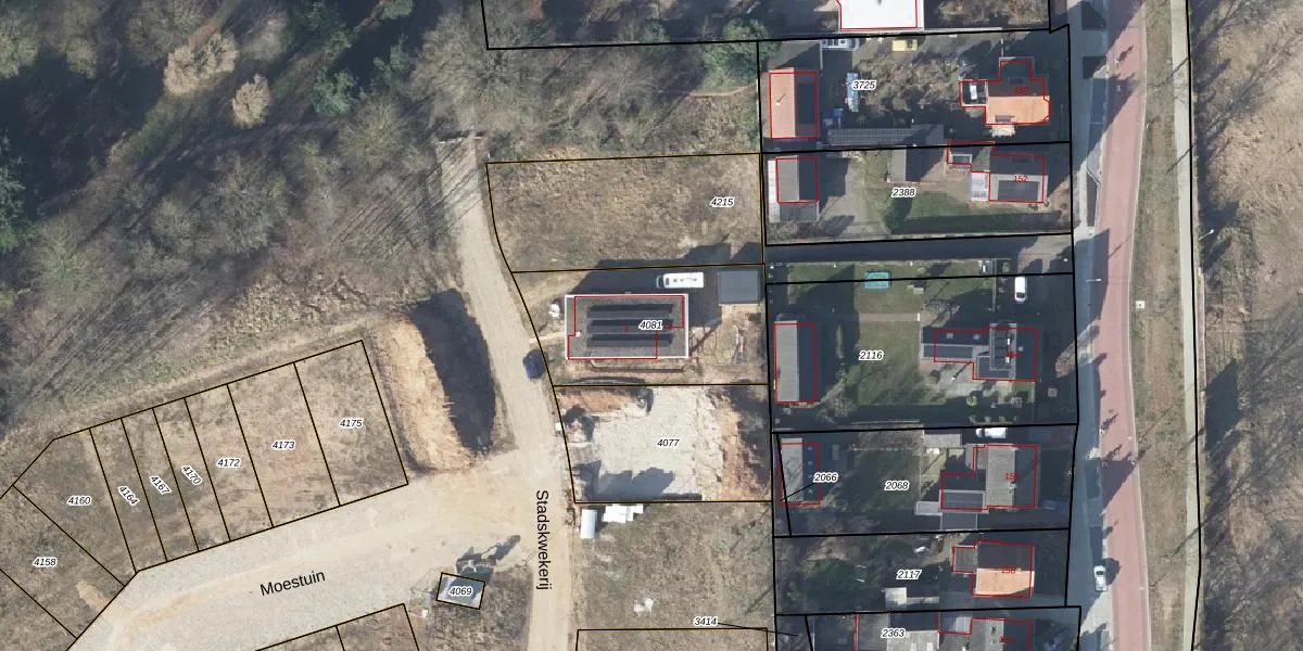
Perceel: DTC02-B-4081
KadastraleKaart.com kan meer dan je denktOntdek meer ›
Filter op bestemming 50+ datasets Eigendomsdata in één klik Percelen CRM
648 m2 - 109 m
Eigenaar opvragen
DTC02-B-4081 (Stad-Doetinchem)
- 7007 CG
6q5ynV1rmM9GN1I47dmrZpZiJcPSUpgrade naar KadastraleKaart Pro
Bekijk op Street View
Download DWG/DXF/Excel
0TX6nmjZHztT8bao1Upgrade naar KadastraleKaart Pro
0xwCoM3BszZcv6Upgrade naar KadastraleKaart Pro
fBUQqdH5ZPYwG6ucqMPNFcWUpgrade naar KadastraleKaart Pro
WqxuLYZfC7ieUpgrade naar KadastraleKaart Pro
5lNkJe4YV 23GAYnyoUpgrade naar KadastraleKaart Pro
I99mlRngbUpgrade naar KadastraleKaart Pro
Z1gvUmqUpgrade naar KadastraleKaart Pro
yVbgu0pnM1l5tUpgrade naar KadastraleKaart Pro
BN ZuF UvgUpgrade naar KadastraleKaart Pro
y EY36 8Cm JUpgrade naar KadastraleKaart Pro
28/10/2025

Percelen
Gebruik de zoekbalk of klik op een perceel om informatie over het perceel te bekijken.