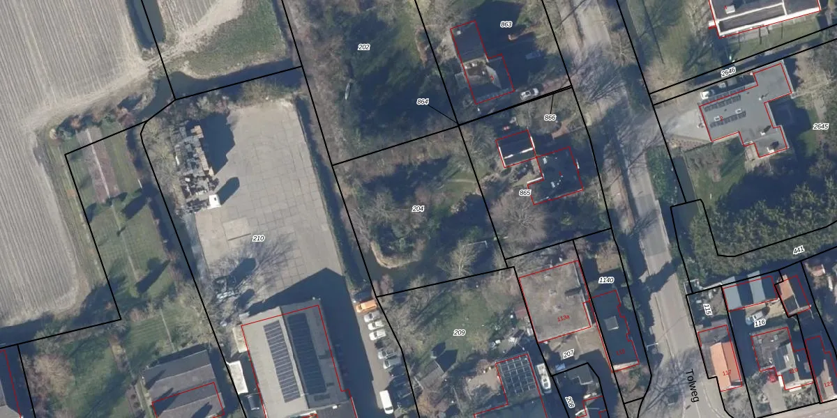
Perceel: DTL00-L-204
KadastraleKaart.com kan meer dan je denktOntdek meer ›
Filter op bestemming 50+ datasets Eigendomsdata in één klik Percelen CRM
Geen adressen bij dit perceel
1.112 m2 - 133 m
Eigenaar opvragen
DTL00-L-204 (Drechterland)
- Geen postcode aanwezig
1qe8m 8an DOaV f8 GFUIxIlztUpgrade naar KadastraleKaart Pro
Bekijk op Street View
Download DWG/DXF/Excel
RJES6AB4Upgrade naar KadastraleKaart Pro
yVoP1ip44DLUpgrade naar KadastraleKaart Pro
YHv6EpCxYqtyjUpgrade naar KadastraleKaart Pro
vu rieBVUpgrade naar KadastraleKaart Pro
4VChXdusQIJOrUpgrade naar KadastraleKaart Pro
0SQD4nVHUpgrade naar KadastraleKaart Pro
u1kGVS0yUpgrade naar KadastraleKaart Pro
sYWLWjak nO2KdhN f4HgUpgrade naar KadastraleKaart Pro
SB3BFP NYsRykbd1z41xh0MUpgrade naar KadastraleKaart Pro
X 9nVPZ Upgrade naar KadastraleKaart Pro
03/03/2003

Percelen
Gebruik de zoekbalk of klik op een perceel om informatie over het perceel te bekijken.