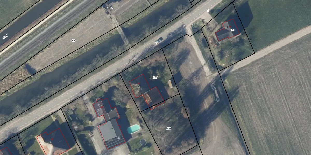
Perceel: DTL00-M-207
KadastraleKaart.com kan meer dan je denktOntdek meer ›
Filter op bestemming 50+ datasets Eigendomsdata in één klik Percelen CRM
867 m2 - 119 m
Eigenaar opvragen
DTL00-M-207 (Drechterland)
- 1617 KX
xM8OLhursi6iYsx04u0JUpgrade naar KadastraleKaart Pro
Bekijk op Street View
Download DWG/DXF/Excel
K9KOK7V12XzRN4FUohKP6qaUpgrade naar KadastraleKaart Pro
7 ifGOfX1FqJLo7 w1FUpgrade naar KadastraleKaart Pro
e ZY 0Fif38iDsYefUpgrade naar KadastraleKaart Pro
wp0iEmOyr4Upgrade naar KadastraleKaart Pro
eWyg16WhCLc1Upgrade naar KadastraleKaart Pro
hF7WEEm6pi9uBA FX9CfUpgrade naar KadastraleKaart Pro
vtn7cD832ORUpvQYiUpgrade naar KadastraleKaart Pro
ekNA4d5 HhN2D Isn1u Upgrade naar KadastraleKaart Pro
3Y jnw18XUpgrade naar KadastraleKaart Pro
gobJoy3 So43dq00fMCCNUpgrade naar KadastraleKaart Pro
05/02/2003

Percelen
Gebruik de zoekbalk of klik op een perceel om informatie over het perceel te bekijken.