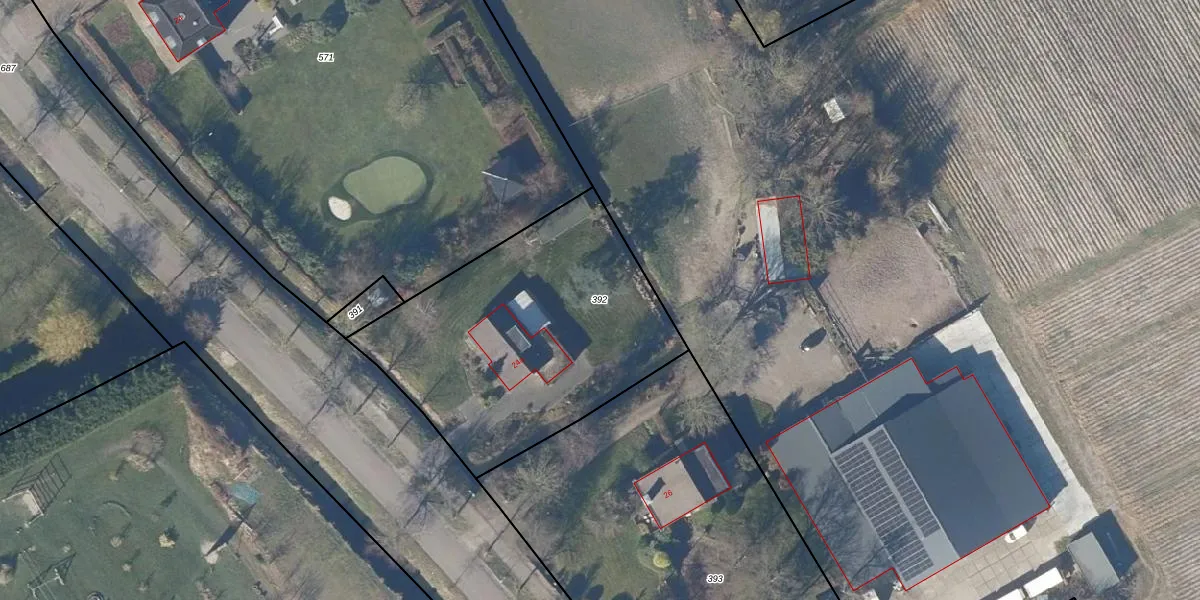
Perceel: DTL00-M-392
KadastraleKaart.com kan meer dan je denktOntdek meer ›
Filter op bestemming 50+ datasets Eigendomsdata in één klik Percelen CRM
1.400 m2 - 153 m
Eigenaar opvragen
DTL00-M-392 (Drechterland)
- 1696 AL
oloOQpzHJRExjLsOnY8ST5JG3qs sUpgrade naar KadastraleKaart Pro
Verkoopprijs opvragen
Bekijk op Street View
Download DWG/DXF/Excel
5v6wvxH hfRq8pUpgrade naar KadastraleKaart Pro
sknK6hOLk JaopUpgrade naar KadastraleKaart Pro
N9gj1uNWwtAcc8bh RqhIUpgrade naar KadastraleKaart Pro
QTyuO1snC5Ud PUpgrade naar KadastraleKaart Pro
x jbEfYYAFU qVvUpgrade naar KadastraleKaart Pro
FO21jvrglUpgrade naar KadastraleKaart Pro
jfpYyDciD YY HK 8pPdUpgrade naar KadastraleKaart Pro
PYdY9tDLkUpgrade naar KadastraleKaart Pro
Jke1akgTAc6o IHKUpgrade naar KadastraleKaart Pro
EkyRKrJI4okD1U0 7qlh 6hUpgrade naar KadastraleKaart Pro
03/02/2003

Percelen
Gebruik de zoekbalk of klik op een perceel om informatie over het perceel te bekijken.