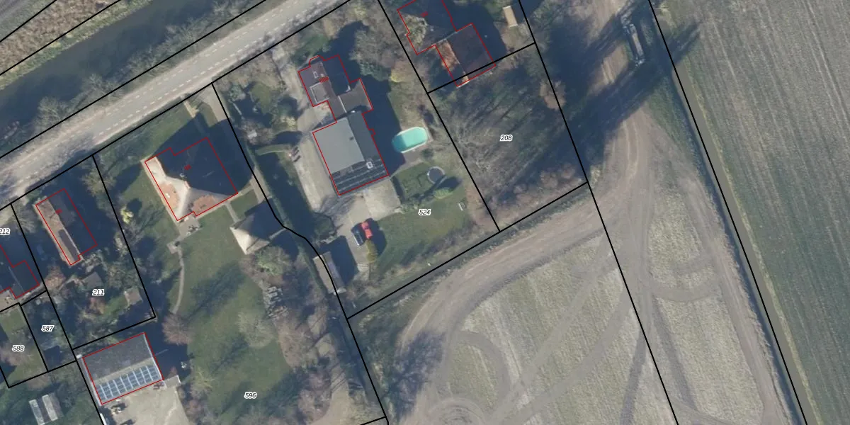
Perceel: DTL00-M-524
KadastraleKaart.com kan meer dan je denktOntdek meer ›
Filter op bestemming 50+ datasets Eigendomsdata in één klik Percelen CRM
2.790 m2 - 216 m
Eigenaar opvragen
DTL00-M-524 (Drechterland)
- 1617 KX
2O CtPXSb9 QQM9bRXUpgrade naar KadastraleKaart Pro
Verkoopprijs opvragen
Bekijk op Street View
Download DWG/DXF/Excel
A09OcO7mjqJr6Upgrade naar KadastraleKaart Pro
IBeJwX3W6 MXV 9yUpgrade naar KadastraleKaart Pro
tD2PM2yvVyT7ALCW8LkSxeUpgrade naar KadastraleKaart Pro
T52jvIX5C5hrJFyeWtDbpUpgrade naar KadastraleKaart Pro
O7WrB MndXezdf7gFbUpgrade naar KadastraleKaart Pro
EnEzyREuRJvezOAUpgrade naar KadastraleKaart Pro
4B Gu ZUeftAMnKWIUpgrade naar KadastraleKaart Pro
W9hwJfy3juybcUpgrade naar KadastraleKaart Pro
QRAMCWJahhmEbI10SKzUpgrade naar KadastraleKaart Pro
EI6BZ27p2Upgrade naar KadastraleKaart Pro
06/02/2004

Percelen
Gebruik de zoekbalk of klik op een perceel om informatie over het perceel te bekijken.