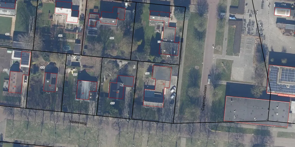
Perceel: DTN01-A-132
KadastraleKaart.com kan meer dan je denktOntdek meer ›
Filter op bestemming 50+ datasets Eigendomsdata in één klik Percelen CRM
1.137 m2 - 136 m
Eigenaar opvragen
DTN01-A-132 (Dronten)
- 8251 AW
9zpKB x40dD7Y5jrD0g8XUpgrade naar KadastraleKaart Pro
Verkoopprijs opvragen
Bekijk op Street View
Download DWG/DXF/Excel
9oCgx0gkZ7YulaacQIPV2Upgrade naar KadastraleKaart Pro
QZ Ke5f yVunKQxjQ6Upgrade naar KadastraleKaart Pro
JTsu 4 EsjnPgUUpgrade naar KadastraleKaart Pro
Bsy70P009NI2EBeUpgrade naar KadastraleKaart Pro
pMDOlnAuTfwzCkUpgrade naar KadastraleKaart Pro
Kzqxj9W58A oL Upgrade naar KadastraleKaart Pro
xBOB OzRwEFkOObhYJUpgrade naar KadastraleKaart Pro
N85XozAO4SFQjmxCEHLMbUpgrade naar KadastraleKaart Pro
tJACzoIt1yTO YUpgrade naar KadastraleKaart Pro
XkZkvhbdHrOUpgrade naar KadastraleKaart Pro
17/03/1998

Percelen
Gebruik de zoekbalk of klik op een perceel om informatie over het perceel te bekijken.