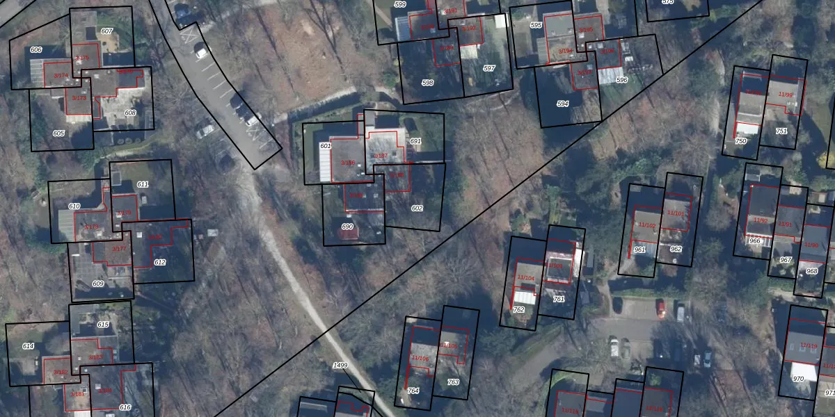
Perceel: DTN01-D-602
KadastraleKaart.com kan meer dan je denktOntdek meer ›
Filter op bestemming 50+ datasets Eigendomsdata in één klik Percelen CRM
225 m2 - 64 m
Eigenaar opvragen
DTN01-D-602 (Dronten)
- 8256 RE
WifLk5HNaD9ad TabgHFYa5Upgrade naar KadastraleKaart Pro
Verkoopprijs opvragen
Bekijk op Street View
Download DWG/DXF/Excel
Ci3Hd ADhykfv GzUpgrade naar KadastraleKaart Pro
XvYw69Y9Upgrade naar KadastraleKaart Pro
oyBRW6m753Upgrade naar KadastraleKaart Pro
TZNHfyR9pPqOE7 x0C tCZWUpgrade naar KadastraleKaart Pro
V5HAFz1xRP8Cfey1WhGYqlzUpgrade naar KadastraleKaart Pro
zrRKHKTplr2TvmyLvZmwUpgrade naar KadastraleKaart Pro
FB2Wm uX5Yaa5Sz4qDjsNnUpgrade naar KadastraleKaart Pro
OiXDvzbNQ6DxpUpgrade naar KadastraleKaart Pro
GEWG1go 5gZUpgrade naar KadastraleKaart Pro
X J38CJ 7zciAp2cbUpgrade naar KadastraleKaart Pro
20/08/1997

Percelen
Gebruik de zoekbalk of klik op een perceel om informatie over het perceel te bekijken.