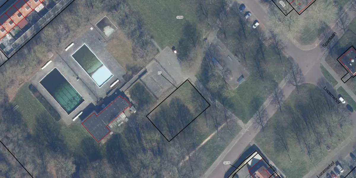
Perceel: DTN01-E-77

Adres bij perceel

Geen adressen bij dit perceel

Perceeloppervlakte & perceelomtrek

594 m2 - 100 m

Eigenaar van het perceel

Eigenaar opvragen

Kadastrale aanduiding

DTN01-E-77 (Dronten)

Postcode in perceel

    Geen postcode aanwezig

Type eigenaar

IK62trb5Ef4VqbnBAGEb9pps40 bzRxUpgrade naar KadastraleKaart Pro

Google Street View

Bekijk op Street View

Download

Download DWG/DXF/Excel

Gerelateerde percelen

Hw9e jDOzsN9vUYE AUpgrade naar KadastraleKaart Pro

Bebouwd/onbebouwd/water/groen

7gz Ee3SVI6SjvsdjqUpgrade naar KadastraleKaart Pro
Administratieve eenheden
nv0dGJA ta7DLsRZ628ns8Upgrade naar KadastraleKaart Pro

Appartementsrechten

vENO89yGFWoI5Vx7hz8BRUpgrade naar KadastraleKaart Pro

Vergunningverlenende instanties

A3ZJEtoEUpgrade naar KadastraleKaart Pro

Bedekking (BGT)

kS6fr18wD5Y hGUpgrade naar KadastraleKaart Pro

Publiekrechtelijke beperkingen

yV37OkodFUpgrade naar KadastraleKaart Pro

Grensnauwkeurigheid

Tfi6GnZ3joUpgrade naar KadastraleKaart Pro

Coördinaten hoekpunten perceel

MK9shEQ4bLkK70ckPM4W5C Upgrade naar KadastraleKaart Pro

Hoogteligging

mh6fdM9HulWADjdX7mUpgrade naar KadastraleKaart Pro

Laatst gewijzigd

25/02/2008

Kadastrale kaart met maatvoering 59,95
Kadastrale kaart pakket 28,95

Percelen

Gebruik de zoekbalk of klik op een perceel om informatie over het perceel te bekijken.
Locatie
Meten
Lagen
Download