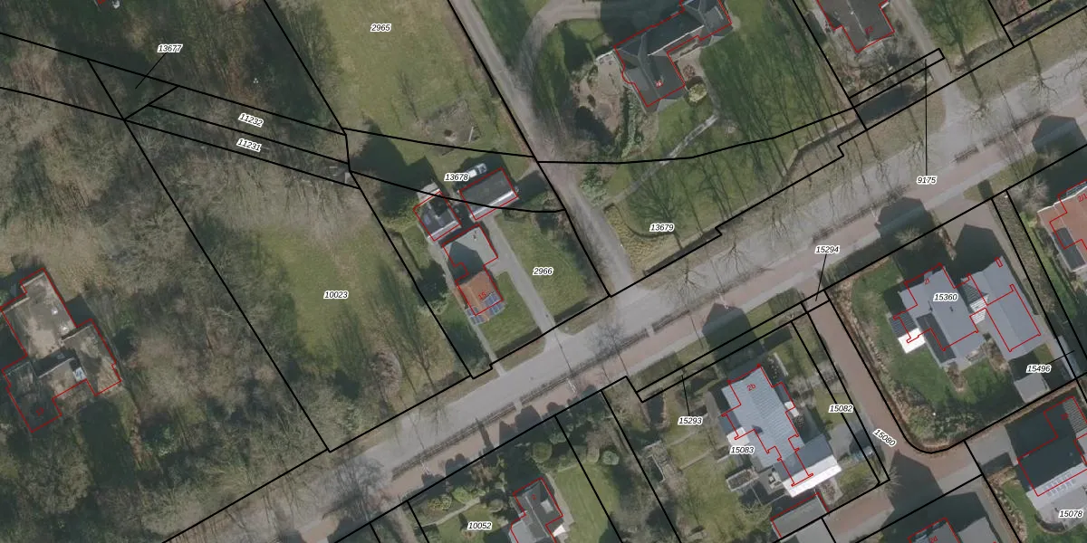
Perceel: DTN02-A-2966
KadastraleKaart.com kan meer dan je denktOntdek meer ›
Filter op bestemming 50+ datasets Eigendomsdata in één klik Percelen CRM
740 m2 - 133 m
Eigenaar opvragen
DTN02-A-2966 (Drachten)
- 9207 AH
P z 8tnX 2z2hYd7Upgrade naar KadastraleKaart Pro
Bekijk op Street View
Download DWG/DXF/Excel
0mk5mKAqKkh2ydKpUpgrade naar KadastraleKaart Pro
OU6 3 Cp2tvJKcUpgrade naar KadastraleKaart Pro
J8I5EgUTzPTrqUpgrade naar KadastraleKaart Pro
mD d E5IUpgrade naar KadastraleKaart Pro
ZeW80VFfHTQscNmDRcC874Upgrade naar KadastraleKaart Pro
j0n5mI Vr8u Qt 6hUpgrade naar KadastraleKaart Pro
y6FPNE9qXxoG1Bpk1FUpgrade naar KadastraleKaart Pro
YrEoX3kIUpgrade naar KadastraleKaart Pro
M3aGNoLFi tBUpgrade naar KadastraleKaart Pro
wP0zCvXRUpgrade naar KadastraleKaart Pro
17/02/2010

Percelen
Gebruik de zoekbalk of klik op een perceel om informatie over het perceel te bekijken.