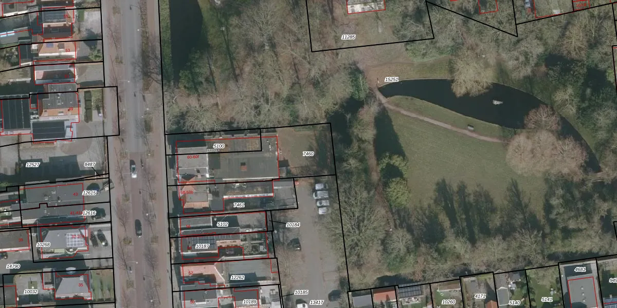
Perceel: DTN02-A-7460
KadastraleKaart.com kan meer dan je denktOntdek meer ›
Filter op bestemming 50+ datasets Eigendomsdata in één klik Percelen CRM
714 m2 - 143 m
Eigenaar opvragen
DTN02-A-7460 (Drachten)
- 9201 GP
YNW8MOc2XFpZ sXWZNRN RUpgrade naar KadastraleKaart Pro
Verkoopprijs opvragen
Bekijk op Street View
Download DWG/DXF/Excel
lpZqiX57d8 h P5 Upgrade naar KadastraleKaart Pro
0wLwHamUlu2Upgrade naar KadastraleKaart Pro
RiJGY5Z0cL38su8 dQoUpgrade naar KadastraleKaart Pro
l7RM7ctVd40BKUpgrade naar KadastraleKaart Pro
qfRlSBGAUpgrade naar KadastraleKaart Pro
9vm1bLDuUpgrade naar KadastraleKaart Pro
0ykHTIoianeUpgrade naar KadastraleKaart Pro
qt 2F3uPJ6636YOev Ls cUpgrade naar KadastraleKaart Pro
az72r7HNUpgrade naar KadastraleKaart Pro
zHnc1QgFEnZiFLBUpgrade naar KadastraleKaart Pro
29/09/2003

Percelen
Gebruik de zoekbalk of klik op een perceel om informatie over het perceel te bekijken.