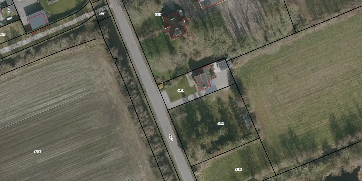
Perceel: DTN02-B-4669
KadastraleKaart.com kan meer dan je denktOntdek meer ›
Filter op bestemming 50+ datasets Eigendomsdata in één klik Percelen CRM
595 m2 - 111 m
Eigenaar opvragen
DTN02-B-4669 (Drachten)
- 9222 NR
hXyx16PBVvnDQR 8 Upgrade naar KadastraleKaart Pro
Verkoopprijs opvragen
Bekijk op Street View
Download DWG/DXF/Excel
b QVQuL0ZijUpgrade naar KadastraleKaart Pro
kga5F T9O6WMpKiUpgrade naar KadastraleKaart Pro
O0 iuounPm g7CUpgrade naar KadastraleKaart Pro
IOSvz ymLWOkv DUpgrade naar KadastraleKaart Pro
ApBMMdcZ93Upgrade naar KadastraleKaart Pro
nvc6l2DwZdllmWjp7TLTUpgrade naar KadastraleKaart Pro
BcJpyrIK8QUpgrade naar KadastraleKaart Pro
o0AblCWJ7UUpgrade naar KadastraleKaart Pro
1bZ6OelULD5D FPhVsnUpgrade naar KadastraleKaart Pro
A3JcAcvT07HNYZnvQR7V0VUpgrade naar KadastraleKaart Pro
15/01/1998

Percelen
Gebruik de zoekbalk of klik op een perceel om informatie over het perceel te bekijken.