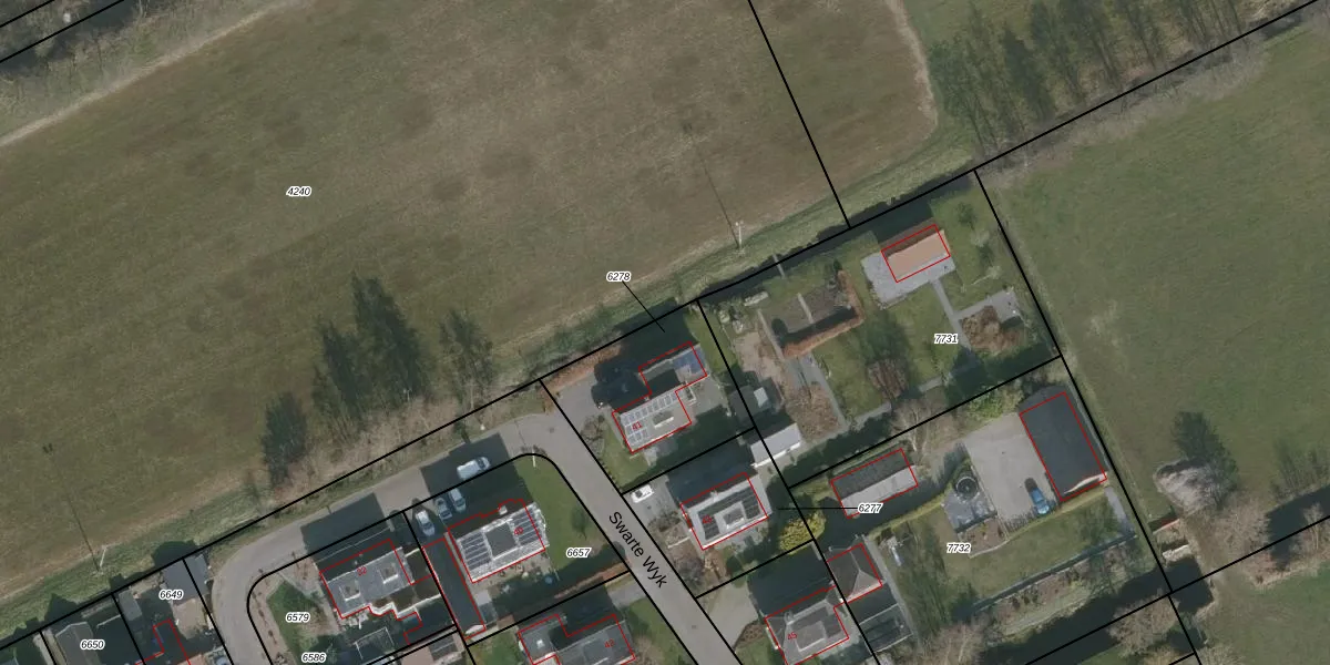
Perceel: DTN02-B-6278
KadastraleKaart.com kan meer dan je denktOntdek meer ›
Filter op bestemming 50+ datasets Eigendomsdata in één klik Percelen CRM
500 m2 - 92 m
Eigenaar opvragen
DTN02-B-6278 (Drachten)
- 9222 LV
ulx MXJX4m 59zm lvZhaKVk fIUpgrade naar KadastraleKaart Pro
Bekijk op Street View
Download DWG/DXF/Excel
9BSqkox LcrDUpgrade naar KadastraleKaart Pro
soe5JyxAAgDy4NVUpgrade naar KadastraleKaart Pro
n4EL0vZAcPLZmUpgrade naar KadastraleKaart Pro
xdk79 IAr SoT0HOxUpgrade naar KadastraleKaart Pro
wEx 6GQz2QGVfUP XOk Upgrade naar KadastraleKaart Pro
CirFhsQhvzvZLTwXNbv16hUpgrade naar KadastraleKaart Pro
q4QFJFwXQVrmvuJUpgrade naar KadastraleKaart Pro
fA wvHsoYDUpgrade naar KadastraleKaart Pro
IXkkgZXgMMOT 4pSEACUpgrade naar KadastraleKaart Pro
gR0JBgAE0X3ZFpRIXprUpgrade naar KadastraleKaart Pro
29/09/2003

Percelen
Gebruik de zoekbalk of klik op een perceel om informatie over het perceel te bekijken.