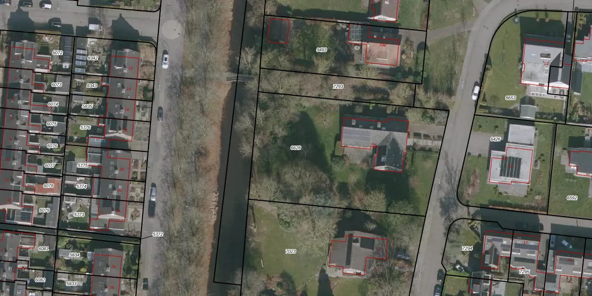
Perceel: DTN02-C-6628
KadastraleKaart.com kan meer dan je denktOntdek meer ›
Filter op bestemming 50+ datasets Eigendomsdata in één klik Percelen CRM
2.274 m2 - 198 m
Eigenaar opvragen
DTN02-C-6628 (Drachten)
- 9203 LN
RyGmwTT8UguKUVOgj0FZcoELutUpgrade naar KadastraleKaart Pro
Verkoopprijs opvragen
Bekijk op Street View
Download DWG/DXF/Excel
sNQF2AiaBeI3ztd5ldUpgrade naar KadastraleKaart Pro
yNZmvVTG c z5Upgrade naar KadastraleKaart Pro
bV qiU9XVI758gvUpgrade naar KadastraleKaart Pro
OyjLKjOuxCvUpgrade naar KadastraleKaart Pro
XNpBhOXA1BR9ahf3dU7TnUpgrade naar KadastraleKaart Pro
GasjmaO Upgrade naar KadastraleKaart Pro
qIh OIdLG4JMRUpgrade naar KadastraleKaart Pro
mjP4XqYQfosnFUpgrade naar KadastraleKaart Pro
w47 3QJJ6D7W5xzynANAEUpgrade naar KadastraleKaart Pro
WtQiercAEWu ajXUpgrade naar KadastraleKaart Pro
05/04/2005

Percelen
Gebruik de zoekbalk of klik op een perceel om informatie over het perceel te bekijken.