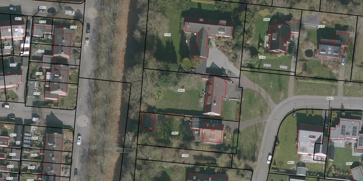
Perceel: DTN02-C-9492
KadastraleKaart.com kan meer dan je denktOntdek meer ›
Filter op bestemming 50+ datasets Eigendomsdata in één klik Percelen CRM
1.310 m2 - 159 m
Eigenaar opvragen
DTN02-C-9492 (Drachten)
- 9203 LN
9 wf42T2yp3vATa1nNUSsxNFd Upgrade naar KadastraleKaart Pro
Bekijk op Street View
Download DWG/DXF/Excel
ARJmpX vf1Y6Upgrade naar KadastraleKaart Pro
JeMdD0EW8un4GbVUpgrade naar KadastraleKaart Pro
8j3 U 8uhu Upgrade naar KadastraleKaart Pro
HHh6Y0t0BjZ7H kBN7ou4aUpgrade naar KadastraleKaart Pro
Q6bxIG46vITfM 0dUpgrade naar KadastraleKaart Pro
3 7W lMz2yGsU Upgrade naar KadastraleKaart Pro
PafAqQ Y5bHKGGUpgrade naar KadastraleKaart Pro
VSG6DL6asBMMUpgrade naar KadastraleKaart Pro
f7IM1aAuDUpgrade naar KadastraleKaart Pro
0R0BPlx28ixCDO FNUpgrade naar KadastraleKaart Pro
05/04/2005

Percelen
Gebruik de zoekbalk of klik op een perceel om informatie over het perceel te bekijken.