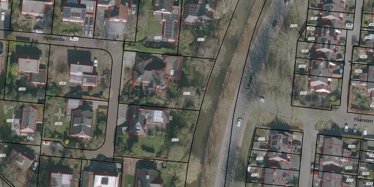
Perceel: DTN02-D-1671
KadastraleKaart.com kan meer dan je denktOntdek meer ›
Filter op bestemming 50+ datasets Eigendomsdata in één klik Percelen CRM
1.315 m2 - 151 m
Eigenaar opvragen
DTN02-D-1671 (Drachten)
- 9204 KD
rM 7xOIYFSr IBHo HmxmvZlyFdUqUpgrade naar KadastraleKaart Pro
Verkoopprijs opvragen
Bekijk op Street View
Download DWG/DXF/Excel
ld2 tyMK aIzzUpgrade naar KadastraleKaart Pro
QREi i Upgrade naar KadastraleKaart Pro
CCS282pz8wzWV58YDHUpgrade naar KadastraleKaart Pro
pZD6GR31r S log8pUpgrade naar KadastraleKaart Pro
X Ufy3ShaXuUpgrade naar KadastraleKaart Pro
Nowe Kvgkxlv3r FeyN9Upgrade naar KadastraleKaart Pro
uWV8QN AGGeDN mgUpgrade naar KadastraleKaart Pro
MDBb8HR7sBFq 1pT9Upgrade naar KadastraleKaart Pro
5jXNzeYy3lBrB1Upgrade naar KadastraleKaart Pro
8gQ JIzVmBHUpgrade naar KadastraleKaart Pro
08/01/2003

Percelen
Gebruik de zoekbalk of klik op een perceel om informatie over het perceel te bekijken.