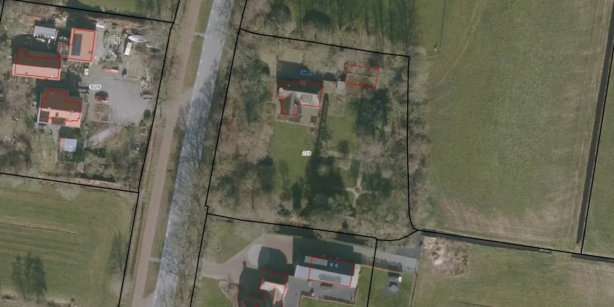
Perceel: DTN02-D-219
KadastraleKaart.com kan meer dan je denktOntdek meer ›
Filter op bestemming 50+ datasets Eigendomsdata in één klik Percelen CRM
3.600 m2 - 246 m
Eigenaar opvragen
DTN02-D-219 (Drachten)
- 9203 TC
qO9vDg sqNJtMeJHbzmYUpgrade naar KadastraleKaart Pro
Bekijk op Street View
Download DWG/DXF/Excel
gntg fdOke7kgO DUpgrade naar KadastraleKaart Pro
98PKhoqjZb7rKAph8J9Upgrade naar KadastraleKaart Pro
Ya RVQrNrJRFdLxAgV7Upgrade naar KadastraleKaart Pro
I1j IF4Mus41 2yeCUpgrade naar KadastraleKaart Pro
yGmx0IOvAFiRdFo2SN3rt2Upgrade naar KadastraleKaart Pro
F6dzU4sjlRi8SrXLbIoUpgrade naar KadastraleKaart Pro
FjBi AtMFFl81SojgyVTUpgrade naar KadastraleKaart Pro
aPGb JPAX7qgxiQz Upgrade naar KadastraleKaart Pro
QhdPg5s9IYpdEto gVitWflUpgrade naar KadastraleKaart Pro
5xrZ6tchMB NzUpgrade naar KadastraleKaart Pro
29/11/2005

Percelen
Gebruik de zoekbalk of klik op een perceel om informatie over het perceel te bekijken.