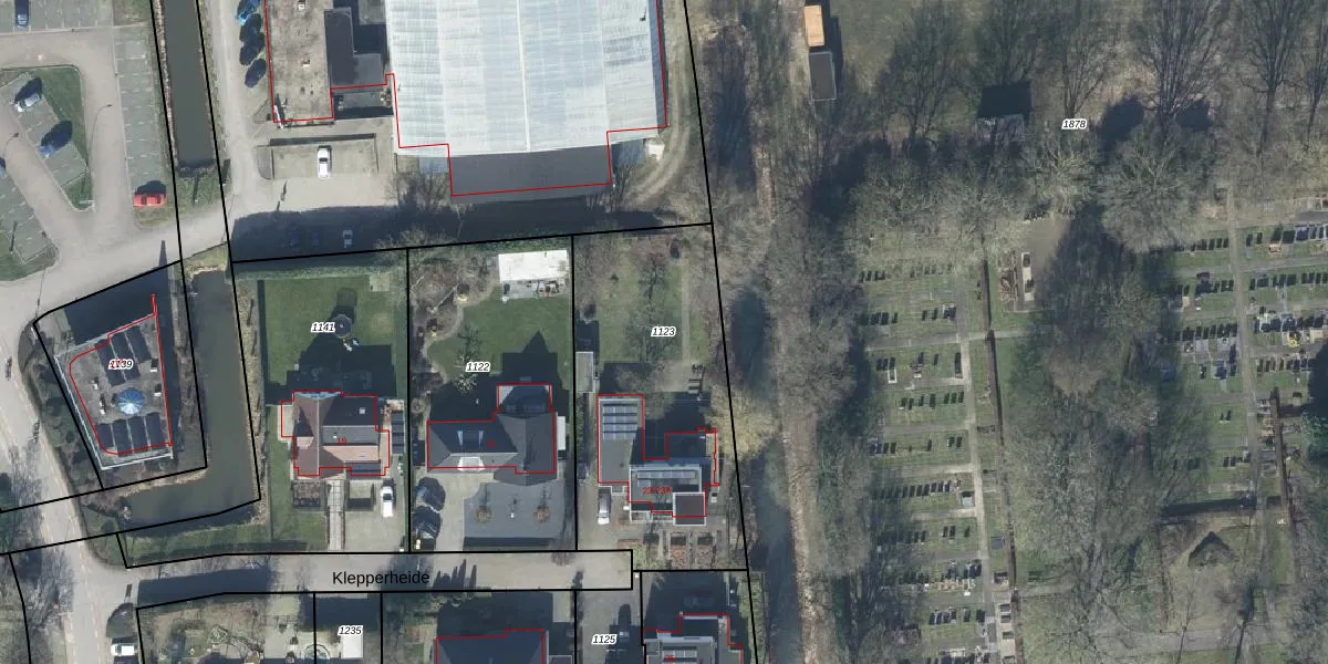
Perceel: DTN03-D-1123
KadastraleKaart.com kan meer dan je denktOntdek meer ›
Filter op bestemming 50+ datasets Eigendomsdata in één klik Percelen CRM
1.180 m2 - 150 m
Eigenaar opvragen
DTN03-D-1123 (Druten)
- 6651 KM
Nebe3jHL5MRYP4bIqf Upgrade naar KadastraleKaart Pro
Bekijk op Street View
Download DWG/DXF/Excel
GwCrQ b9DX gvjF2WTp9Upgrade naar KadastraleKaart Pro
90L1AyhP pSRF8UjnGTpjUpgrade naar KadastraleKaart Pro
Tc313XXkRyUpgrade naar KadastraleKaart Pro
l3w6FP6lDKBZbacUpgrade naar KadastraleKaart Pro
TlZiQWGUUpgrade naar KadastraleKaart Pro
2xTHwDqS6PJj 3 7Upgrade naar KadastraleKaart Pro
l agAZV5KVXUUpgrade naar KadastraleKaart Pro
si3MHld9Upgrade naar KadastraleKaart Pro
cxlbz 87RVQ5Rryc2XVcUpgrade naar KadastraleKaart Pro
9cbAL3 Fm3 XhEf nZsu83Upgrade naar KadastraleKaart Pro
21/06/2001

Percelen
Gebruik de zoekbalk of klik op een perceel om informatie over het perceel te bekijken.