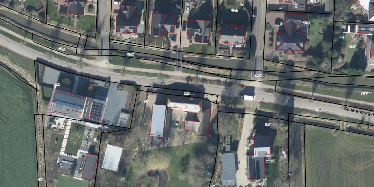
Perceel: DTN03-G-248

Adres bij perceel

Geen adressen bij dit perceel

Perceeloppervlakte & perceelomtrek

127 m2 - 93 m

Eigenaar van het perceel

Eigenaar opvragen

Kadastrale aanduiding

DTN03-G-248 (Druten)

Postcode in perceel

    Geen postcode aanwezig

Type eigenaar

n0 akIbg uMolI8 ZO056XsZuf 2aztUpgrade naar KadastraleKaart Pro

Google Street View

Bekijk op Street View

Download

Download DWG/DXF/Excel

Gerelateerde percelen

7q tQkUz4cUq0zZHUpgrade naar KadastraleKaart Pro

Bebouwd/onbebouwd/water/groen

oZH9y rFUpgrade naar KadastraleKaart Pro
Administratieve eenheden
hmRzPQ x2as2xPMclUpgrade naar KadastraleKaart Pro

Appartementsrechten

qu2 yoMkxFehmUpgrade naar KadastraleKaart Pro

Vergunningverlenende instanties

sZ K6nztkpUpgrade naar KadastraleKaart Pro

Bedekking (BGT)

VCP1N86d9pO hpGqPrUpgrade naar KadastraleKaart Pro

Publiekrechtelijke beperkingen

ORM0D0SN8 Upgrade naar KadastraleKaart Pro

Grensnauwkeurigheid

X35wXxQuuIeoMEy ZpIAVDqUpgrade naar KadastraleKaart Pro

Coördinaten hoekpunten perceel

offSOdshUpgrade naar KadastraleKaart Pro

Hoogteligging

dN j2zQqWL2vbY7GSbUpgrade naar KadastraleKaart Pro

Laatst gewijzigd

24/10/2022

Kadastrale kaart met maatvoering 59,95
Kadastrale kaart pakket 28,95

Percelen

Gebruik de zoekbalk of klik op een perceel om informatie over het perceel te bekijken.
Locatie
Meten
Lagen
Download