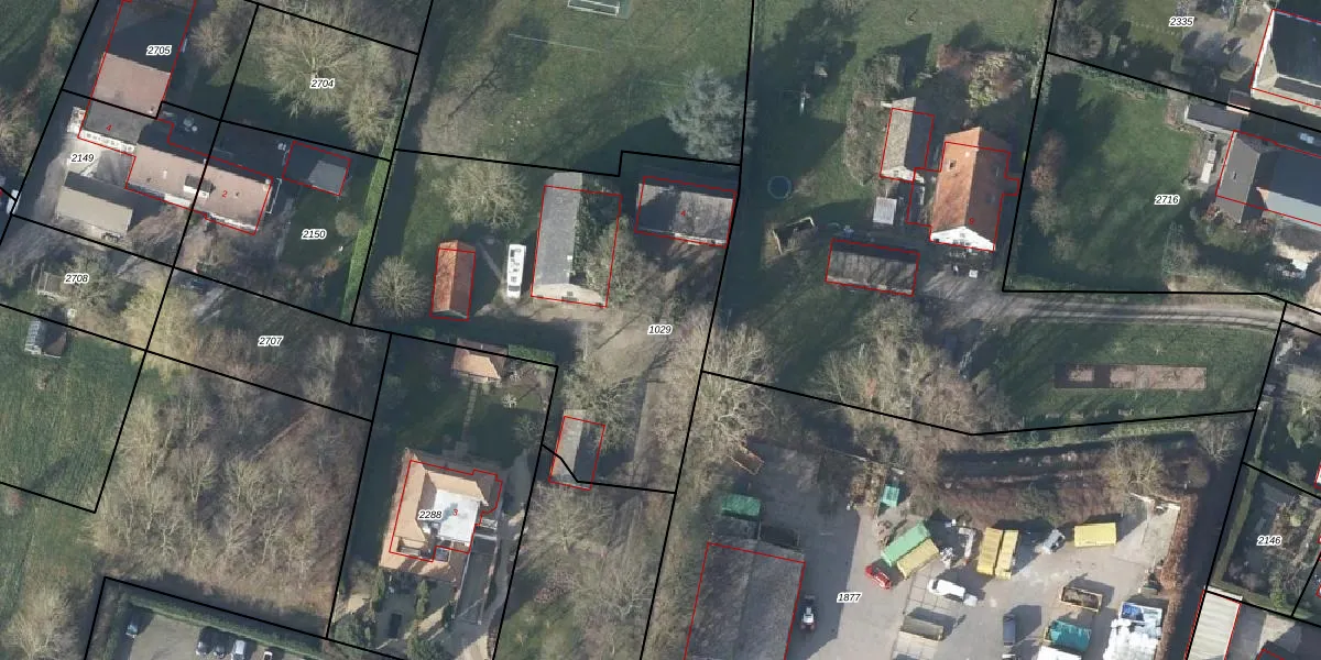
Perceel: DVN00-A-1029
KadastraleKaart.com kan meer dan je denktOntdek meer ›
Filter op bestemming 50+ datasets Eigendomsdata in één klik Percelen CRM
1.815 m2 - 201 m
Eigenaar opvragen
DVN00-A-1029 (Duiven)
- 6921 AK
hPIZP5ocvC9CQFxUpgrade naar KadastraleKaart Pro
Bekijk op Street View
Download DWG/DXF/Excel
bBEkm1ZljFSsQ49DUpgrade naar KadastraleKaart Pro
fgL8AaV9zNuKp8 NUUpgrade naar KadastraleKaart Pro
jzX03aDmhuNQG326fR1Upgrade naar KadastraleKaart Pro
7 tfHq2t062IZMM1Upgrade naar KadastraleKaart Pro
8uYIKTZus UUpgrade naar KadastraleKaart Pro
mK4PbnRVPhYM SO9d1lUpgrade naar KadastraleKaart Pro
2KLdguwLDutHmdGrfj ojUpgrade naar KadastraleKaart Pro
P1QhhDtpYMUKorf ao6A9L Upgrade naar KadastraleKaart Pro
ZmyK0HgFSr8BVXDF aPWFUpgrade naar KadastraleKaart Pro
xrzHr95wP9blCu8Upgrade naar KadastraleKaart Pro
13/09/2005

Percelen
Gebruik de zoekbalk of klik op een perceel om informatie over het perceel te bekijken.