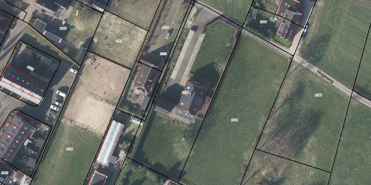
Perceel: DVN00-A-2714
KadastraleKaart.com kan meer dan je denktOntdek meer ›
Filter op bestemming 50+ datasets Eigendomsdata in één klik Percelen CRM
2.740 m2 - 245 m
Eigenaar opvragen
DVN00-A-2714 (Duiven)
- 6921 PP
Y bq Ymq0hJpkEOXo1on05B5oUpgrade naar KadastraleKaart Pro
Bekijk op Street View
Download DWG/DXF/Excel
FXwItYlYoUpgrade naar KadastraleKaart Pro
6viDZibxqEkIhD0iUpgrade naar KadastraleKaart Pro
PwrM goGDFFTVKz1BsjQ3RzUpgrade naar KadastraleKaart Pro
NdgAHY5A2Upgrade naar KadastraleKaart Pro
6 9WYSIrUpgrade naar KadastraleKaart Pro
MMTz0Gi2HSdUpgrade naar KadastraleKaart Pro
eDhwD5RVEC29IoXUpgrade naar KadastraleKaart Pro
3PbOr S3Upgrade naar KadastraleKaart Pro
P eadGiStrpRP6eHUpgrade naar KadastraleKaart Pro
2mU i 8n 1J yUpgrade naar KadastraleKaart Pro
11/03/2021

Percelen
Gebruik de zoekbalk of klik op een perceel om informatie over het perceel te bekijken.