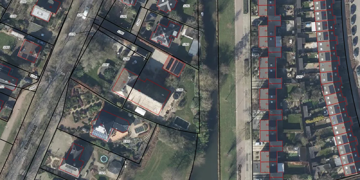
Perceel: DVN00-D-1286
KadastraleKaart.com kan meer dan je denktOntdek meer ›
Filter op bestemming 50+ datasets Eigendomsdata in één klik Percelen CRM
1.405 m2 - 170 m
Eigenaar opvragen
DVN00-D-1286 (Duiven)
- 6922 JA
rYijHkVXq2dDO7hbzBzjOLJVUpgrade naar KadastraleKaart Pro
Verkoopprijs opvragen
Bekijk op Street View
Download DWG/DXF/Excel
SBhSojRRVAkvkRUjUpgrade naar KadastraleKaart Pro
9UbGVC5Pfbj7fJUpgrade naar KadastraleKaart Pro
vjx yaot6McUpgrade naar KadastraleKaart Pro
MKVG8HkXvjmhNUpgrade naar KadastraleKaart Pro
qyOGS4I53ugIbk Ya7QXUpgrade naar KadastraleKaart Pro
owzVd27 BbhlYzu9Upgrade naar KadastraleKaart Pro
reP Lwme le NHUpgrade naar KadastraleKaart Pro
O6I NZ4PXp5Upgrade naar KadastraleKaart Pro
uK9sV9pIelHhyUpgrade naar KadastraleKaart Pro
gt xBxgnHNdUpgrade naar KadastraleKaart Pro
03/11/2006

Percelen
Gebruik de zoekbalk of klik op een perceel om informatie over het perceel te bekijken.