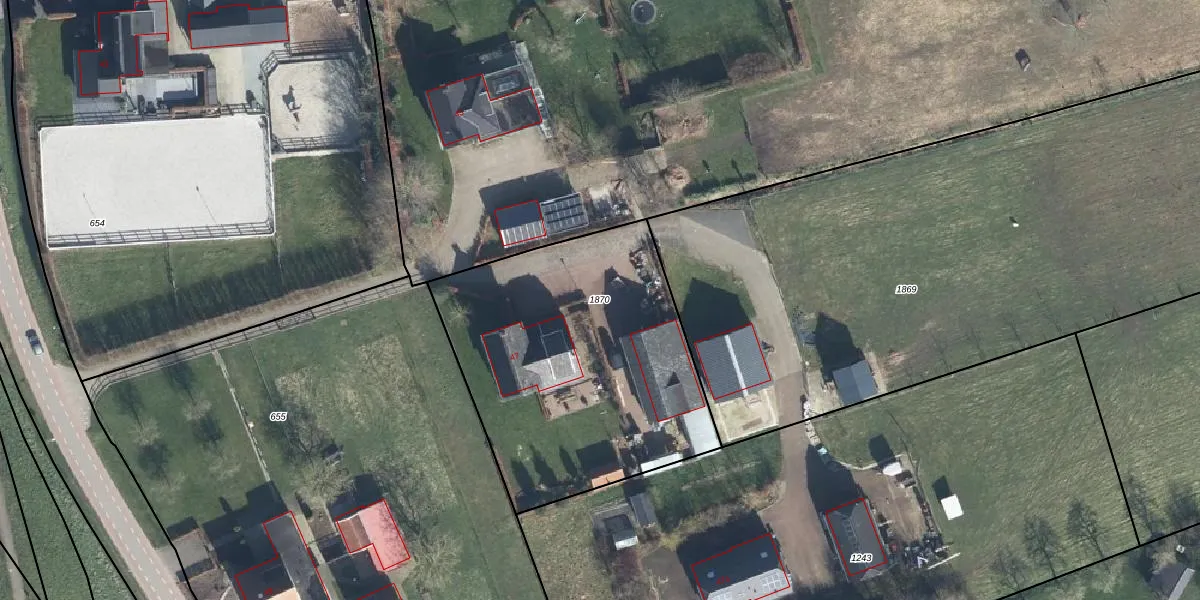
Perceel: DVN00-H-1870
KadastraleKaart.com kan meer dan je denktOntdek meer ›
Filter op bestemming 50+ datasets Eigendomsdata in één klik Percelen CRM
1.515 m2 - 156 m
Eigenaar opvragen
DVN00-H-1870 (Duiven)
- 6924 AK
TLsZmDt7yVp54FDCO9Upgrade naar KadastraleKaart Pro
Verkoopprijs opvragen
Bekijk op Street View
Download DWG/DXF/Excel
4b 3AX0mvJg EUpgrade naar KadastraleKaart Pro
nJSEzi o5iaWYiUpgrade naar KadastraleKaart Pro
kyp w8oDBFUpgrade naar KadastraleKaart Pro
Utg5hwBqfXKS8 GxU824dYTUpgrade naar KadastraleKaart Pro
1VpNSw6XrUpgrade naar KadastraleKaart Pro
UZww 1r7yfgHC qUpgrade naar KadastraleKaart Pro
O49gg0h c o1Upgrade naar KadastraleKaart Pro
QtoejaN im2dNgT uwAUpgrade naar KadastraleKaart Pro
36OFQrn641aWxswIUpgrade naar KadastraleKaart Pro
Cj0IzwXX3frUpgrade naar KadastraleKaart Pro
09/02/2016

Percelen
Gebruik de zoekbalk of klik op een perceel om informatie over het perceel te bekijken.