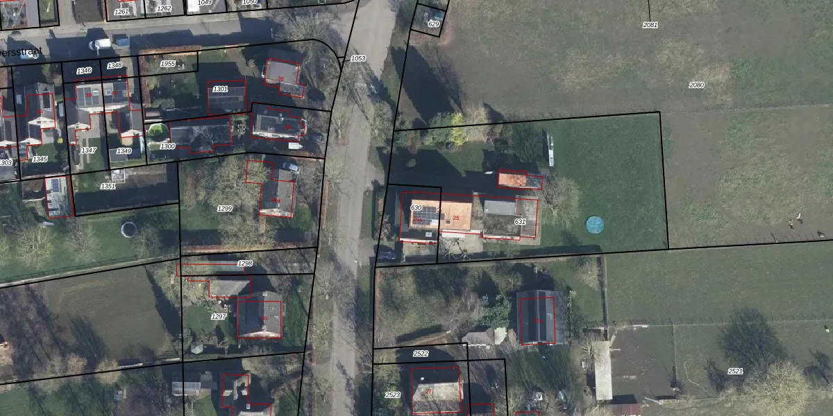
Perceel: DVN00-H-630
KadastraleKaart.com kan meer dan je denktOntdek meer ›
Filter op bestemming 50+ datasets Eigendomsdata in één klik Percelen CRM
265 m2 - 66 m
Eigenaar opvragen
DVN00-H-630 (Duiven)
- 6924 AJ
WpDES5LUuJ j p Upgrade naar KadastraleKaart Pro
Bekijk op Street View
Download DWG/DXF/Excel
CMVOd MtHpw pKa5ya6NXUpgrade naar KadastraleKaart Pro
u9VZ2uk2IUpgrade naar KadastraleKaart Pro
VI MwFnwwbsTUUL42hJeUpgrade naar KadastraleKaart Pro
wh1VZas rV5 EW uUpFUpgrade naar KadastraleKaart Pro
KGS bRY ciDFUWmtUpgrade naar KadastraleKaart Pro
hpv0A9k9AmJLYjUpgrade naar KadastraleKaart Pro
Y l Nzan4TIVMUpgrade naar KadastraleKaart Pro
Z6fN3 DqJouBUpgrade naar KadastraleKaart Pro
nk9yPzsY WGCXlGyq oa Upgrade naar KadastraleKaart Pro
xE3BKv qgrBc gmJ8 DUpgrade naar KadastraleKaart Pro
14/09/2005

Percelen
Gebruik de zoekbalk of klik op een perceel om informatie over het perceel te bekijken.