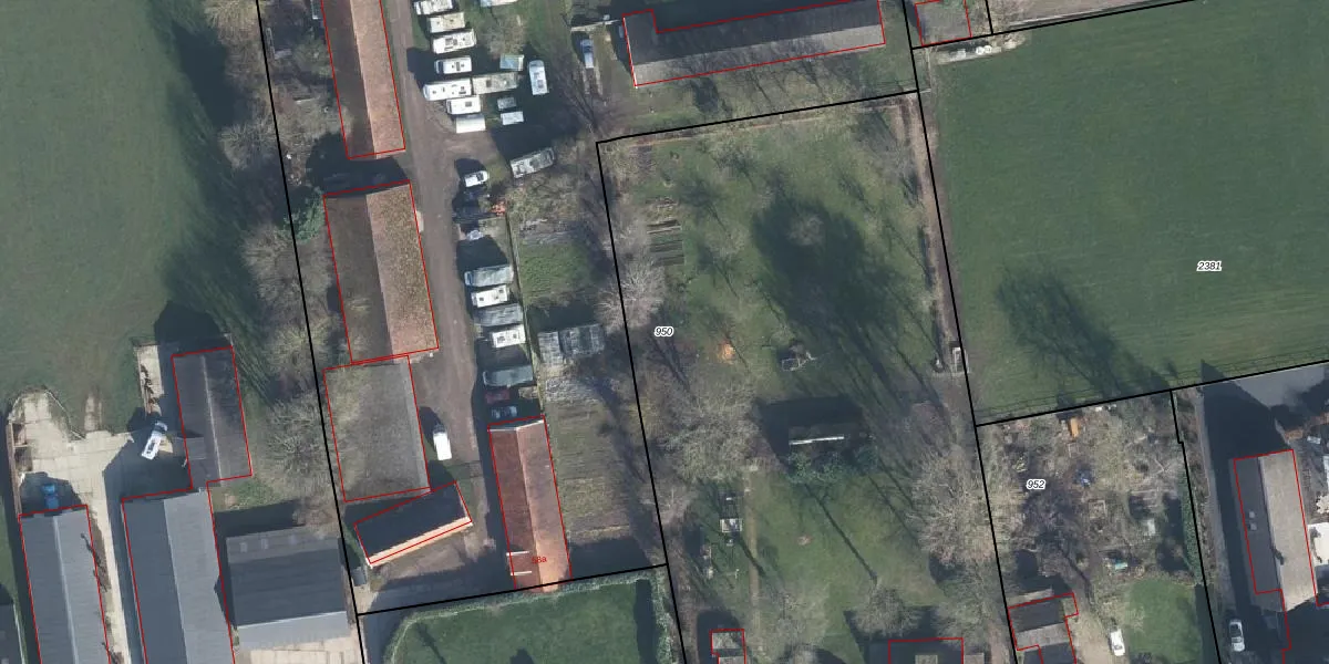
Perceel: DVN00-H-950
KadastraleKaart.com kan meer dan je denktOntdek meer ›
Filter op bestemming 50+ datasets Eigendomsdata in één klik Percelen CRM
6.290 m2 - 355 m
Eigenaar opvragen
DVN00-H-950 (Duiven)
- 6924 AH
aH1VSwF y IaBJDS2oO8fpqscvUpgrade naar KadastraleKaart Pro
Verkoopprijs opvragen
Bekijk op Street View
Download DWG/DXF/Excel
m z wWPjzCXoR Upgrade naar KadastraleKaart Pro
cSvGN1p zsiH eUpgrade naar KadastraleKaart Pro
yO230y A2QUpgrade naar KadastraleKaart Pro
9aoss36gP5Kzh4ewxmDublUpgrade naar KadastraleKaart Pro
X3 0XP0Su3c7ArGztg Upgrade naar KadastraleKaart Pro
VWhz9OEQ517q2svtf6qzyZwUpgrade naar KadastraleKaart Pro
L jBV1Yl46mI2gCzUpgrade naar KadastraleKaart Pro
XNA4 4dNnvvUpgrade naar KadastraleKaart Pro
1VvIj3DdDnJwUpgrade naar KadastraleKaart Pro
fHb0j gyMLZSeUpgrade naar KadastraleKaart Pro
24/08/2020

Percelen
Gebruik de zoekbalk of klik op een perceel om informatie over het perceel te bekijken.