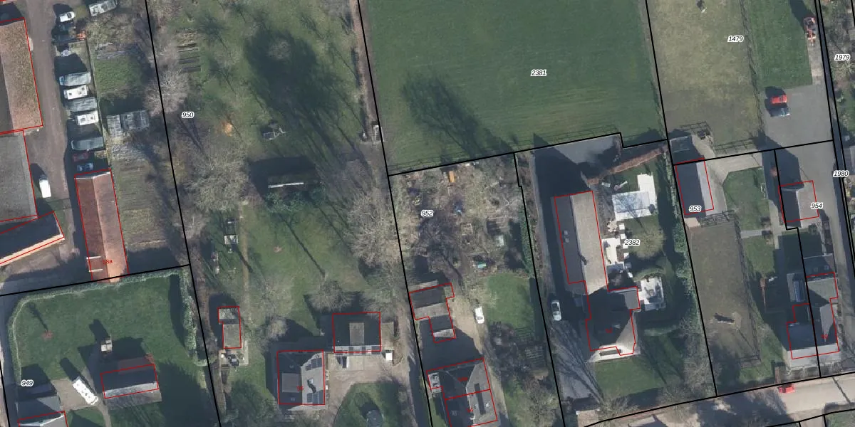
Perceel: DVN00-H-952
KadastraleKaart.com kan meer dan je denktOntdek meer ›
Filter op bestemming 50+ datasets Eigendomsdata in één klik Percelen CRM
2.155 m2 - 201 m
Eigenaar opvragen
DVN00-H-952 (Duiven)
- 6924 AH
1coc PTyLIVnLo1r9JbI7lUpgrade naar KadastraleKaart Pro
Verkoopprijs opvragen
Bekijk op Street View
Download DWG/DXF/Excel
B5PycApKuRIAkGW3Upgrade naar KadastraleKaart Pro
Jl h3oTmKe UcrxUpgrade naar KadastraleKaart Pro
OOAVW3OmGNUpgrade naar KadastraleKaart Pro
m t1lWoSReUpgrade naar KadastraleKaart Pro
7r6Wli 4pPJUpgrade naar KadastraleKaart Pro
aLt6skmY49 YkR GQNUpgrade naar KadastraleKaart Pro
By oOOw L45N0DR4bRLL Upgrade naar KadastraleKaart Pro
EdTZaKG324Jzh4Agu3Upgrade naar KadastraleKaart Pro
IycAdklH aj EzEUpgrade naar KadastraleKaart Pro
t7QHMrHZfAKBeG976J0jp Upgrade naar KadastraleKaart Pro
24/08/2020

Percelen
Gebruik de zoekbalk of klik op een perceel om informatie over het perceel te bekijken.